Suppr超能文献

p38 介导 2 型糖尿病小鼠模型中的机械性痛觉过敏。

p38 mediates mechanical allodynia in a mouse model of type 2 diabetes.

机构信息

Department of Neurology, University of Michigan Medical Center, Ann Arbor, Michigan, USA.

出版信息

Mol Pain. 2010 May 19;6:28. doi: 10.1186/1744-8069-6-28.

Abstract

BACKGROUND

Painful Diabetic Neuropathy (PDN) affects more than 25% of patients with type 2 diabetes; however, the pathogenesis remains unclear due to lack of knowledge of the molecular mechanisms leading to PDN. In our current study, we use an animal model of type 2 diabetes in order to understand the roles of p38 in PDN. Previously, we have demonstrated that the C57BLK db/db (db/db) mouse, a model of type 2 diabetes that carries the loss-of-function leptin receptor mutant, develops mechanical allodynia in the hind paws during the early stage (6-12 wk of age) of diabetes. Using this timeline of PDN, we can investigate the signaling mechanisms underlying mechanical allodynia in the db/db mouse.

RESULTS

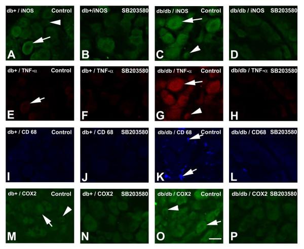
We studied the role of p38 in lumbar dorsal root ganglia (LDRG) during the development of mechanical allodynia in db/db mice. p38 phosphorylation was detected by immunoblots at the early stage of mechanical allodynia in LDRG of diabetic mice. Phosphorylated p38 (pp38) immunoreactivity was detected mostly in the small- to medium-sized LDRG neurons during the time period of mechanical allodynia. Treatment with an antibody against nerve growth factor (NGF) significantly inhibited p38 phosphorylation in LDRG of diabetic mice. In addition, we detected higher levels of inflammatory mediators, including cyclooxygenase (COX) 2, inducible nitric oxide synthases (iNOS), and tumor necrosis factor (TNF)-alpha in LDRG neurons of db/db mice compared to non-diabetic db+ mice. Intrathecal delivery of SB203580, a p38 inhibitor, significantly inhibited the development of mechanical allodynia and the upregulation of COX2, iNOS and TNF-alpha.

CONCLUSIONS

Our findings suggest that NGF activated-p38 phosphorylation mediates mechanical allodynia in the db/db mouse by upregulation of multiple inflammatory mediators in LDRG.

摘要

背景

疼痛性糖尿病神经病变(PDN)影响超过 25%的 2 型糖尿病患者;然而,由于缺乏导致 PDN 的分子机制的知识,其发病机制仍不清楚。在我们目前的研究中,我们使用 2 型糖尿病动物模型来了解 p38 在 PDN 中的作用。以前,我们已经证明,C57BLK db/db(db/db)小鼠,一种携带瘦素受体功能丧失突变体的 2 型糖尿病模型,在糖尿病早期(6-12 周龄)时在后爪出现机械性痛觉过敏。利用这一时间轴上的 PDN,我们可以研究 db/db 小鼠机械性痛觉过敏的信号机制。

结果

我们研究了 p38 在腰椎背根神经节(LDRG)中在 db/db 小鼠机械性痛觉过敏发展中的作用。在糖尿病小鼠 LDRG 中,在机械性痛觉过敏的早期阶段通过免疫印迹检测到 p38 磷酸化。在机械性痛觉过敏期间,磷酸化的 p38(pp38)免疫反应主要在中小 LDRG 神经元中检测到。用神经生长因子(NGF)抗体治疗可显著抑制糖尿病小鼠 LDRG 中的 p38 磷酸化。此外,与非糖尿病 db+小鼠相比,我们在 db/db 小鼠的 LDRG 神经元中检测到更高水平的炎症介质,包括环氧化酶(COX)2、诱导型一氧化氮合酶(iNOS)和肿瘤坏死因子(TNF)-α。鞘内给予 p38 抑制剂 SB203580 可显著抑制机械性痛觉过敏的发展以及 COX2、iNOS 和 TNF-α的上调。

结论

我们的研究结果表明,NGF 激活的 p38 磷酸化通过上调 LDRG 中的多种炎症介质介导 db/db 小鼠的机械性痛觉过敏。

https://cdn.ncbi.nlm.nih.gov/pmc/blobs/cee3/2881061/a001195144d9/1744-8069-6-28-1.jpg

文献检索

告别复杂PubMed语法,用中文像聊天一样搜索,搜遍4000万医学文献。AI智能推荐,让科研检索更轻松。

立即免费搜索

文件翻译

保留排版,准确专业,支持PDF/Word/PPT等文件格式,支持 12+语言互译。

免费翻译文档

深度研究

AI帮你快速写综述,25分钟生成高质量综述,智能提取关键信息,辅助科研写作。

立即免费体验