Department of Respiratory and Critical Care Medicine, Shanghai General Hospital, Shanghai Jiaotong University, Shanghai, China.
Department of Molecular Biosciences, University of Kansas Cancer Center, University of Kansas, Lawrence, Kansas, USA.
Cancer Biol Ther. 2022 Dec 31;23(1):139-149. doi: 10.1080/15384047.2022.2034455.
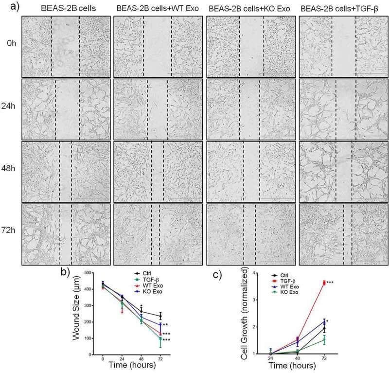
HuR overexpression is related to poor survival in patients with colon cancer. HuR overexpression leads to stabilization of tumor-promoting mRNAs by binding to 3'UTR-resident AREs. Exosomes, nanosized lipid bilayer vesicles, mediate many steps in cancer progression. The potential role of exosomal HuR in colon cancer lung metastasis is unclear. HuR expression was assessed immunohistochemically in tumor tissue samples from 20 patients with metastatic or nonmetastatic colon cancer and colon cancer lung metastasis and benign lung disease samples from ten patients. Exosomes were isolated from HCT116 WT and HuR KO colon cancer cells, and uptake of PKH67- and PKH26-labeled exosomes by BEAS-2B cells was evaluated using fluorescence and confocal microscopy. C-Myc and p21protein and mRNA levels were measured by western blotting and RT-qPCR, respectively. In clinical patients, HuR overexpression was significantly enhanced in colon tissues of patients with lung metastasis. HuR expression was higher in lung tissue with metastasis of colonic origin than with benign lung disease. The effect of HuR-containing CRC exosomes compared to HuR-deficient exosomes on wound closure was observed as enhanced proliferation. BEAS-2B cell migration and invasion were enhanced after HuR-containing exosomes treatment. BEAS-2B cells showed similar uptake of PKH67 (HCT116 WT)- and PKH26 (HCT116 HuR KO)-labeled exosomes. Exosomal HuR stabilized c-Myc mRNA and downregulated p21 expression, leading to G1/S transition, in human bronchial epithelial cells. HuR overexpression is associated with lung metastasis in colon cancer patients. Exosomal HuR derived from colon cancer cells alter the biological effect on normal lung epithelial cells.
HuR 过表达与结肠癌患者的不良生存相关。HuR 过表达通过与 3'UTR 驻留 ARE 结合导致促进肿瘤的 mRNAs 稳定。外泌体是纳米大小的脂质双层囊泡,介导癌症进展的许多步骤。外泌体 HuR 在结肠癌肺转移中的潜在作用尚不清楚。在 20 例转移性或非转移性结肠癌和结肠癌肺转移以及 10 例良性肺部疾病患者的肿瘤组织样本中,通过免疫组织化学评估 HuR 表达。从 HCT116 WT 和 HuR KO 结肠癌细胞中分离出外泌体,并使用荧光和共聚焦显微镜评估 PKH67 和 PKH26 标记的外泌体被 BEAS-2B 细胞摄取的情况。通过 Western blot 和 RT-qPCR 分别测量 C-Myc 和 p21 蛋白和 mRNA 水平。在临床患者中,HuR 过表达在有肺转移的结肠癌组织中显著增强。结肠癌起源的肺转移组织中 HuR 表达高于良性肺部疾病。与 HuR 缺失的 CRC 外泌体相比,HuR 包含的 CRC 外泌体对伤口闭合的影响表现为增殖增强。BEAS-2B 细胞迁移和侵袭在 HuR 包含的外泌体处理后增强。BEAS-2B 细胞显示对 PKH67(HCT116 WT)-和 PKH26(HCT116 HuR KO)标记的外泌体的摄取相似。外泌体 HuR 稳定了 c-Myc mRNA,并下调了 p21 表达,导致 G1/S 过渡,在人支气管上皮细胞中。HuR 过表达与结肠癌患者的肺转移相关。来自结肠癌细胞的外泌体 HuR 改变了对正常肺上皮细胞的生物学影响。