Suppr超能文献

基于单点渐进成形工艺的复合材料加劲肋表面纹理与粗糙度分析

Analysis of Surface Texture and Roughness in Composites Stiffening Ribs Formed by SPIF Process.

作者信息

Al-Sabur Raheem, Kubit Andrzej, Khalaf Hassanein I, Jurczak Wojciech, Dzierwa Andrzej, Korzeniowski Marcin

机构信息

Mechanical Department, Engineering College, University of Basrah, Basrah 61004, Iraq.

Department of Manufacturing and Production Engineering, Faculty of Mechanical Engineering and Aeronautics, Rzeszow University of Technology, Al. Powst. Warszawy 8, 35-959 Rzeszów, Poland.

出版信息

Materials (Basel). 2023 Apr 6;16(7):2901. doi: 10.3390/ma16072901.

Abstract

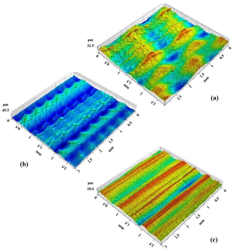
Studying roughness parameters and the topography of stiffening ribs in composite sandwich structures is important for understanding these materials' surface quality and mechanical properties. The roughness parameters describe the micro-geometry of the surface, including the average height deviation, roughness depth, and waviness. The topography of the surface refers to the spatial arrangement and distribution of features such as bumps, ridges, and valleys. The study investigated the roughness parameters under three scenarios based on two SPIF process parameters: tool rotational speed(N) and feed rate (f). The vertical step was held constant at 0.4 mm across all scenarios. In scenario A, the process parameters were set at f = 300 mm/min and n = 300 rpm; in scenario B, f = 1500 mm/min and n = 3000 rpm; and in scenario C, f = 1500 mm/min and n = 300 rpm. The experimental research topography analyses revealed that the surface roughness of the stiffened ribs was highly dependent on the SPIF process parameters. The highest feed rate and tool rotational speed produced the smoothest surface texture with the lowest maximum height (Sz) value. In contrast, the lowest feed rate and tool rotational speed resulted in a rougher surface texture with a higher maximum height (Sz) value. Furthermore, the contour plots generated from the topography analyses provided a good visual representation of the surface texture and roughness, allowing for a more comprehensive analysis of the SPIF process parameters. This study emphasizes optimizing the SPIF process parameters to achieve the desired surface quality and texture of stiffened ribs formed in Litecor panel sheets.

摘要

研究复合材料夹层结构中加强肋的粗糙度参数和形貌对于理解这些材料的表面质量和力学性能至关重要。粗糙度参数描述了表面的微观几何形状,包括平均高度偏差、粗糙度深度和波纹度。表面形貌是指诸如凸起、脊和谷等特征的空间排列和分布。该研究基于两个单点增量成形(SPIF)工艺参数——刀具转速(N)和进给速度(f),在三种情况下研究了粗糙度参数。在所有情况下,垂直步长均保持恒定在0.4毫米。在情况A中,工艺参数设置为f = 300毫米/分钟,n = 300转/分钟;在情况B中,f = 1500毫米/分钟,n = 3000转/分钟;在情况C中,f = 1500毫米/分钟,n = 300转/分钟。实验研究的形貌分析表明,加强肋的表面粗糙度高度依赖于SPIF工艺参数。最高的进给速度和刀具转速产生了最光滑的表面纹理以及最低的最大高度(Sz)值。相反,最低的进给速度和刀具转速导致了更粗糙的表面纹理以及更高的最大高度(Sz)值。此外,从形貌分析生成的等高线图很好地直观呈现了表面纹理和粗糙度,从而能够对SPIF工艺参数进行更全面的分析。本研究强调优化SPIF工艺参数,以实现Litecor面板板材中形成的加强肋所需的表面质量和纹理。

https://cdn.ncbi.nlm.nih.gov/pmc/blobs/3be8/10095732/d7605009b703/materials-16-02901-g001.jpg

文献AI研究员

20分钟写一篇综述,助力文献阅读效率提升50倍。

立即体验

用中文搜PubMed

大模型驱动的PubMed中文搜索引擎

马上搜索

文档翻译

学术文献翻译模型,支持多种主流文档格式。

立即体验