Subongkot Thirapit, Ngawhirunpat Tanasait
Department of Pharmaceutical Technology, Faculty of Pharmaceutical Sciences, Burapha University, Chonburi, Thailand.
Department of Pharmaceutical Technology, Faculty of Pharmacy, Silpakorn University, Nakhon Pathom, Thailand.
Int J Nanomedicine. 2015 Jul 10;10:4581-92. doi: 10.2147/IJN.S86624. eCollection 2015.
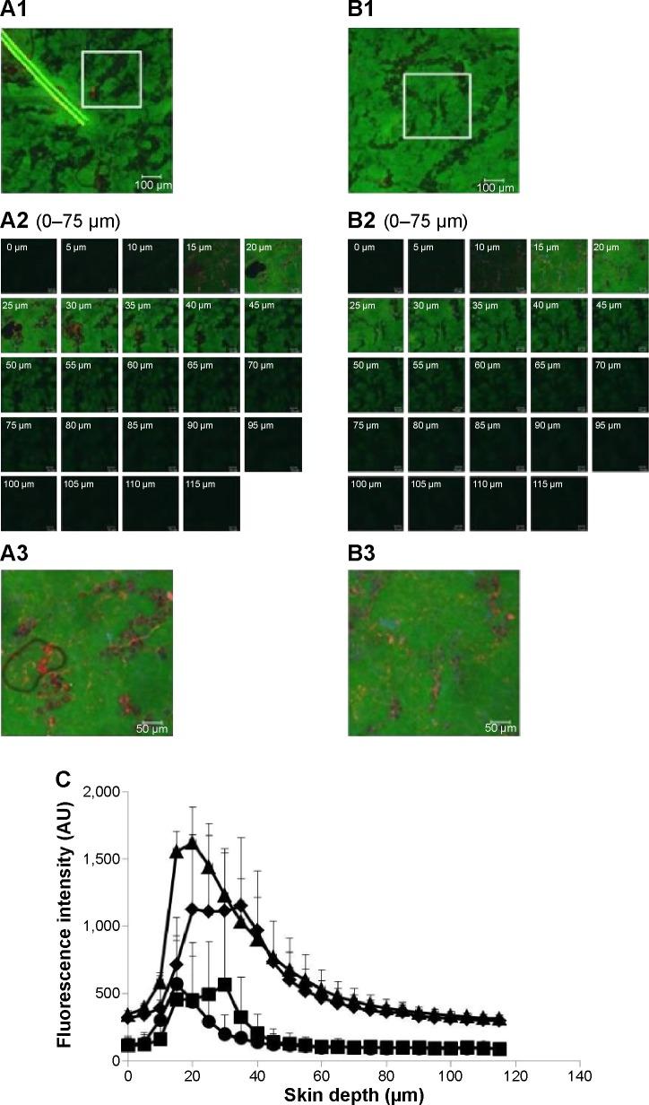
The purpose of this study was to investigate the effect of ultradeformable liposome components, Tween 20 and terpenes, on vesicle fluidity. The fluidity was evaluated by electron spin resonance spectroscopy using 5-doxyl stearic acid and 16-doxyl stearic acid as spin labels for phospholipid bilayer fluidity at the C5 atom of the acyl chain near the polar head group (hydrophilic region) and the C16 atom of the acyl chain (lipophilic region), respectively. The electron spin resonance study revealed that Tween 20 increased the fluidity at the C5 atom of the acyl chain, whereas terpenes increased the fluidity at the C16 atom of the acyl chain of the phospholipid bilayer. The increase in liposomal fluidity resulted in the increased skin penetration of sodium fluorescein. Confocal laser scanning microscopy showed that ultradeformable liposomes with terpenes increase the skin penetration of sodium fluorescein by enhancing hair follicle penetration.
本研究的目的是调查超可变形脂质体成分吐温20和萜类化合物对囊泡流动性的影响。通过电子自旋共振光谱法评估流动性,分别使用5-硬脂酸基氧基和16-硬脂酸基氧基作为自旋标记物,用于评估极性头部基团(亲水区)附近酰基链C5原子处和酰基链C16原子处(亲脂区)磷脂双层的流动性。电子自旋共振研究表明,吐温20增加了酰基链C5原子处的流动性,而萜类化合物增加了磷脂双层酰基链C16原子处的流动性。脂质体流动性的增加导致了荧光素钠皮肤渗透率的提高。共聚焦激光扫描显微镜显示,含有萜类化合物的超可变形脂质体通过增强毛囊渗透来提高荧光素钠的皮肤渗透率。