Suppr超能文献

自组织左旋手性向列型纤维素纳米晶体薄膜中的横向梯度双折射光学反射

Lateral Gradient Ambidextrous Optical Reflection in Self-Organized Left-Handed Chiral Nematic Cellulose Nanocrystals Films.

作者信息

Tao Jiawei, Li Jiaqi, Yu Xiao, Wei Lihong, Xu Yan

机构信息

State Key Laboratory of Inorganic Synthesis and Preparative Chemistry, Jilin University, Changchun, China.

出版信息

Front Bioeng Biotechnol. 2021 Feb 5;9:608965. doi: 10.3389/fbioe.2021.608965. eCollection 2021.

Abstract

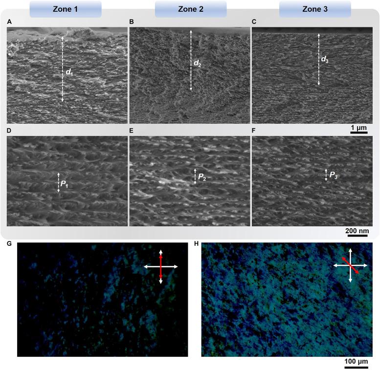
Artificial photonic materials displaying ordered reflected color patterns are desirable in the field of photonic technologies, however, it is challenging to realize. Here we present that self-assembly of cellulose nanocrystals (CNC) in a tilted cuvette leads to the formation of rainbow color CNC films. We show that the self-organized CNC films enable simultaneous reflection of left-handed circularly polarized (LCP) and right-handed circularly polarized (RCP) light with lateral gradient transmittance ratio (LCP/RCP: 8.7-0.9) and the maximum reflectance value up to 72%. This unique ambidextrous optical reflection arises from left-handed chiral photonic architectures with lateral gradient photonic bandgaps and nematic-like defects at the film-substrate interface and between left-handed photonic bandgap layers acting as a half-wavelength retarder. We demonstrate that the tilted angle self-assembly method provides a feasible step toward color patterning of CNC-based photonic films capable of ambidextrous optical reflection.

摘要

在光子技术领域,具有有序反射颜色图案的人工光子材料备受青睐,但实现起来具有挑战性。在此,我们展示了纤维素纳米晶体(CNC)在倾斜比色皿中的自组装导致形成彩虹色CNC薄膜。我们表明,自组织的CNC薄膜能够同时反射左旋圆偏振(LCP)光和右旋圆偏振(RCP)光,具有横向梯度透射率比(LCP/RCP:8.7 - 0.9),最大反射率值高达72%。这种独特的左右手通用光学反射源于具有横向梯度光子带隙的左手性手性光子结构以及在薄膜 - 衬底界面处和作为半波长延迟器的左手性光子带隙层之间的向列型缺陷。我们证明,倾斜角自组装方法为基于CNC的具有左右手通用光学反射能力的光子薄膜的颜色图案化提供了可行的一步。

https://cdn.ncbi.nlm.nih.gov/pmc/blobs/7cd7/7892906/088b0e849492/fbioe-09-608965-g001.jpg

文献AI研究员

20分钟写一篇综述,助力文献阅读效率提升50倍。

立即体验

用中文搜PubMed

大模型驱动的PubMed中文搜索引擎

马上搜索

文档翻译

学术文献翻译模型,支持多种主流文档格式。

立即体验