Suppr超能文献

各种 PET 瓶装日本绿茶及其茶类成分在体外抗 SARS-CoV-2 的活性。

Anti-SARS-CoV-2 activity of various PET-bottled Japanese green teas and tea compounds in vitro.

机构信息

Department of Virology, Institute of Tropical Medicine, Nagasaki University, 1-12-4 Sakamoto, , Nagasaki, 852-8523, Japan.

Section of Pharmacognosy, Institute of Natural Medicine, University of Toyama, 2630 Sugitani, Toyama, 930-0194, Japan.

出版信息

Arch Virol. 2022 Jul;167(7):1547-1557. doi: 10.1007/s00705-022-05483-x. Epub 2022 May 24.

Abstract

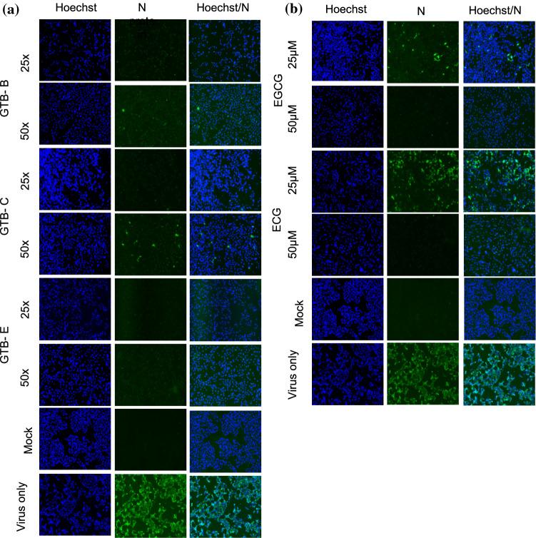
The outbreak of coronavirus disease 2019 (COVID-19) caused by severe acute respiratory syndrome coronavirus 2 (SARS-CoV-2) is a serious threat to global public health. The emergence of SARS-CoV-2 variants is a significant concern regarding the continued effectiveness of vaccines and antiviral therapeutics. Thus, natural products such as foods, drinks, and other compounds should be investigated for their potential to treat COVID-19. Here, we examined the in vitro antiviral activity against SARS-CoV-2 of various polyethylene terephthalate (PET)-bottled green Japanese teas and tea compounds. Six types of PET-bottled green tea were shown to inhibit SARS-CoV-2 at half-maximal inhibitory concentrations (IC) of 121- to 323-fold dilution. Our study revealed for the first time that a variety of PET-bottled Japanese green tea drinks inhibit SARS-CoV-2 infection in a dilution-dependent manner. The tea compounds epigallocatechin gallate (EGCG) and epicatechin gallate showed virucidal activity against SARS-CoV-2, with IC values of 6.5 and 12.5 µM, respectively. The investigated teas and tea compounds inactivated SARS-CoV-2 in a dose-dependent manner, as demonstrated by the viral RNA levels and infectious titers. Furthermore, the green teas and EGCG showed significant inhibition at the entry and post-entry stages of the viral life cycle and inhibited the activity of the SARS-CoV-2 3CL-protease. These findings indicate that green tea drinks and tea compounds are potentially useful in prophylaxis and COVID-19 treatment.

摘要

新型冠状病毒病 2019(COVID-19)是由严重急性呼吸综合征冠状病毒 2(SARS-CoV-2)引起的,是对全球公共卫生的严重威胁。SARS-CoV-2 变体的出现是疫苗和抗病毒疗法持续有效性的一个重大关注点。因此,应该研究天然产物,如食品、饮料和其他化合物,以评估它们治疗 COVID-19 的潜力。在这里,我们研究了各种聚对苯二甲酸乙二醇酯(PET)瓶装绿茶及其茶化合物对 SARS-CoV-2 的体外抗病毒活性。结果表明,6 种 PET 瓶装绿茶在半最大抑制浓度(IC)下抑制 SARS-CoV-2 的稀释倍数为 121-323 倍。我们的研究首次揭示了多种 PET 瓶装日本绿茶饮料以稀释依赖性方式抑制 SARS-CoV-2 感染。茶化合物表没食子儿茶素没食子酸酯(EGCG)和表儿茶素没食子酸酯对 SARS-CoV-2 具有病毒杀灭活性,IC 值分别为 6.5 和 12.5µM。研究中的茶和茶化合物以剂量依赖性方式使 SARS-CoV-2 失活,这可以通过病毒 RNA 水平和感染滴度来证明。此外,绿茶和 EGCG 在病毒生命周期的进入和进入后阶段表现出显著的抑制作用,并抑制了 SARS-CoV-2 3CL-蛋白酶的活性。这些发现表明,绿茶饮料和茶化合物在预防和 COVID-19 治疗方面可能具有潜在的应用价值。

https://cdn.ncbi.nlm.nih.gov/pmc/blobs/f59d/9126694/4a4221f5aad9/705_2022_5483_Fig1_HTML.jpg

文献AI研究员

20分钟写一篇综述,助力文献阅读效率提升50倍。

立即体验

用中文搜PubMed

大模型驱动的PubMed中文搜索引擎

马上搜索

文档翻译

学术文献翻译模型,支持多种主流文档格式。

立即体验