Suppr超能文献

奥沙利铂诱导的肠神经病变中人类肠神经系统细胞中AmotL2表达的变化

Changes in AmotL2 Expression in Cells of the Human Enteral Nervous System in Oxaliplatin-Induced Enteric Neuropathy.

作者信息

González-Fernández Rebeca, Martín-Ramírez Rita, Maeso María-Del-Carmen, Lázaro Alberto, Ávila Julio, Martín-Vasallo Pablo, Morales Manuel

机构信息

Laboratorio de Biología del Desarrollo, UD de Bioquímica y Biología Molecular, Universidad de La Laguna, Av. Astrofísico Sánchez s/n, 38206 San Cristóbal de La Laguna, Spain.

Instituto de Tecnologías Biomédicas, Universidad de La Laguna, C/Sta. María de la Soledad, Sección Medicina, 38071 San Cristóbal de La Laguna, Spain.

出版信息

Biomedicines. 2024 Aug 26;12(9):1952. doi: 10.3390/biomedicines12091952.

Abstract

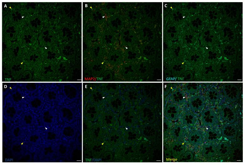
Gastrointestinal (GI) toxicity is a common side effect in patients undergoing oxaliplatin (OxPt)-based chemotherapy for colorectal cancer (CRC). Frequently, this complication persists in the long term and could affect the efficacy of the treatment and the patient's life quality. This long-term GI toxicity is thought to be related to OxPt-induced enteral neuropathy. AmotL2 is a member of the Angiomotin family of proteins, which play a role in cell survival, neurite outgrowth, synaptic maturation, oxidative stress protection, and inflammation. In order to assess the role of AmotL2 in OxPt-induced enteral neuropathy, we studied the expression of AmotL2 in cells of the enteric nervous system (ENS) of untreated and OxPt-treated CRC patients and its relationship with inflammation, using immunofluorescence confocal microscopy. Our results in human samples show that the total number of neurons and glial cells decreased in OxPt-treated patients, and TNF-α and AmotL2 expression was increased and colocalized in both neurons and glia. AmotL2 differential expression between OxPt-treated and untreated CRC patients shows the involvement of this scaffold protein in the inflammatory component and toxicity by OxPt in the ENS.

摘要

胃肠道(GI)毒性是接受以奥沙利铂(OxPt)为基础的化疗的结直肠癌(CRC)患者常见的副作用。这种并发症通常会长期持续存在,并可能影响治疗效果和患者生活质量。这种长期的胃肠道毒性被认为与奥沙利铂诱导的肠神经病变有关。AmotL2是血管动蛋白家族蛋白的成员,该家族蛋白在细胞存活、神经突生长、突触成熟、氧化应激保护和炎症中发挥作用。为了评估AmotL2在奥沙利铂诱导的肠神经病变中的作用,我们使用免疫荧光共聚焦显微镜研究了未接受治疗和接受奥沙利铂治疗的CRC患者肠神经系统(ENS)细胞中AmotL2的表达及其与炎症的关系。我们在人体样本中的结果表明,接受奥沙利铂治疗的患者神经元和神经胶质细胞总数减少,肿瘤坏死因子-α(TNF-α)和AmotL2表达增加,且在神经元和神经胶质细胞中均共定位。接受奥沙利铂治疗和未接受治疗的CRC患者之间AmotL2的差异表达表明,这种支架蛋白参与了奥沙利铂在肠神经系统中的炎症成分和毒性作用。

https://cdn.ncbi.nlm.nih.gov/pmc/blobs/3d04/11429461/6f02e80c2292/biomedicines-12-01952-g001.jpg

文献检索

告别复杂PubMed语法,用中文像聊天一样搜索,搜遍4000万医学文献。AI智能推荐,让科研检索更轻松。

立即免费搜索

文件翻译

保留排版,准确专业,支持PDF/Word/PPT等文件格式,支持 12+语言互译。

免费翻译文档

深度研究

AI帮你快速写综述,25分钟生成高质量综述,智能提取关键信息,辅助科研写作。

立即免费体验