• 文献检索
  • 文档翻译
  • 深度研究
  • 学术资讯
  • Suppr Zotero 插件Zotero 插件
  • 邀请有礼
  • 套餐&价格
  • 历史记录
应用&插件
Suppr Zotero 插件Zotero 插件浏览器插件Mac 客户端Windows 客户端微信小程序
定价
高级版会员购买积分包购买API积分包
服务
文献检索文档翻译深度研究API 文档MCP 服务
关于我们
关于 Suppr公司介绍联系我们用户协议隐私条款
关注我们

Suppr 超能文献

核心技术专利:CN118964589B侵权必究
粤ICP备2023148730 号-1Suppr @ 2026

文献检索

告别复杂PubMed语法,用中文像聊天一样搜索,搜遍4000万医学文献。AI智能推荐,让科研检索更轻松。

立即免费搜索

文件翻译

保留排版,准确专业,支持PDF/Word/PPT等文件格式,支持 12+语言互译。

免费翻译文档

深度研究

AI帮你快速写综述,25分钟生成高质量综述,智能提取关键信息,辅助科研写作。

立即免费体验

利用FimH捕获微凝胶筛选粘附侵袭性大肠杆菌用于治疗炎症性肠病

Fishing out AIEC with FimH capturing microgels for inflammatory bowel disease treatment.

作者信息

Wu Jialin, Liu Yutao, Liu Ruiying, Xiao Changyi, Xuan Leyan, Wu Lili, Qian Jiamin, Qin Xudong, Hou Yingying, Xie Maobin, Yu Xiyong, Liu Bin, Tang Guosheng

机构信息

Guangzhou Municipal and Guangdong Provincial Key Laboratory of Molecular Target & Clinical Pharmacology, the NMPA and State Key Laboratory of Respiratory Disease, School of Pharmaceutical Sciences and the Fifth Affiliated Hospital, Guangzhou Medical University, Guangzhou, Guangdong, P. R. China.

School of Life Sciences, Faculty of Medicine, Tianjin University, Tianjin, China.

出版信息

Nat Commun. 2025 Aug 25;16(1):7924. doi: 10.1038/s41467-025-63276-7.

DOI:10.1038/s41467-025-63276-7
PMID:40855058
原文链接:https://pmc.ncbi.nlm.nih.gov/articles/PMC12378211/
Abstract

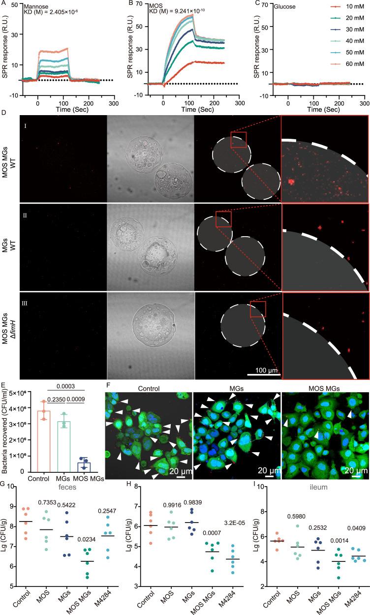
Inflammatory bowel disease (IBD) is a chronic immune-mediated condition with rising global incidence and limited treatment options. Current therapies often have poor efficacy and undesirable side effects. Here we present a drug-free strategy that targets bacterial adhesion to manage IBD. We develop porous microgels loaded with mannan oligosaccharides (MOS) that mimic the natural binding sites of intestinal cells. These microgels attract adherent-invasive Escherichia coli (AIEC) by interacting with FimH, a bacterial protein used for attachment, thereby preventing AIEC from colonizing the gut lining. The microgels are fabricated using an all-aqueous two-phase system, enabling biocompatibility and structural control. In a mouse model of IBD, this competitive adsorption approach alleviates intestinal inflammation, reduces harmful Enterobacteriaceae, and enhances gut microbial diversity. This work introduces a non-antibiotic, bioinspired method that intercepts pathogenic bacteria and restores microbial balance, offering a promising therapeutic strategy for IBD.

摘要

炎症性肠病(IBD)是一种慢性免疫介导性疾病,全球发病率不断上升,治疗选择有限。目前的治疗方法往往疗效不佳且副作用不理想。在此,我们提出一种针对细菌黏附的无药策略来治疗IBD。我们开发了负载甘露寡糖(MOS)的多孔微凝胶,其模拟肠道细胞的天然结合位点。这些微凝胶通过与用于黏附的细菌蛋白FimH相互作用来吸引黏附侵袭性大肠杆菌(AIEC),从而防止AIEC在肠壁定植。微凝胶使用全水两相系统制备,具有生物相容性并能控制结构。在IBD小鼠模型中,这种竞争性吸附方法可减轻肠道炎症,减少有害肠杆菌科细菌,并增强肠道微生物多样性。这项工作引入了一种非抗生素、受生物启发的方法,该方法可拦截病原菌并恢复微生物平衡,为IBD提供了一种有前景的治疗策略。

https://cdn.ncbi.nlm.nih.gov/pmc/blobs/e519/12378211/4a3141687491/41467_2025_63276_Fig7_HTML.jpg
https://cdn.ncbi.nlm.nih.gov/pmc/blobs/e519/12378211/0abbea5c4d4b/41467_2025_63276_Fig1_HTML.jpg
https://cdn.ncbi.nlm.nih.gov/pmc/blobs/e519/12378211/6b5ff33e99db/41467_2025_63276_Fig2_HTML.jpg
https://cdn.ncbi.nlm.nih.gov/pmc/blobs/e519/12378211/a35149104770/41467_2025_63276_Fig3_HTML.jpg
https://cdn.ncbi.nlm.nih.gov/pmc/blobs/e519/12378211/3c330f003944/41467_2025_63276_Fig4_HTML.jpg
https://cdn.ncbi.nlm.nih.gov/pmc/blobs/e519/12378211/3f89c2bcd4d3/41467_2025_63276_Fig5_HTML.jpg
https://cdn.ncbi.nlm.nih.gov/pmc/blobs/e519/12378211/a7b2d1ac6226/41467_2025_63276_Fig6_HTML.jpg
https://cdn.ncbi.nlm.nih.gov/pmc/blobs/e519/12378211/4a3141687491/41467_2025_63276_Fig7_HTML.jpg
https://cdn.ncbi.nlm.nih.gov/pmc/blobs/e519/12378211/0abbea5c4d4b/41467_2025_63276_Fig1_HTML.jpg
https://cdn.ncbi.nlm.nih.gov/pmc/blobs/e519/12378211/6b5ff33e99db/41467_2025_63276_Fig2_HTML.jpg
https://cdn.ncbi.nlm.nih.gov/pmc/blobs/e519/12378211/a35149104770/41467_2025_63276_Fig3_HTML.jpg
https://cdn.ncbi.nlm.nih.gov/pmc/blobs/e519/12378211/3c330f003944/41467_2025_63276_Fig4_HTML.jpg
https://cdn.ncbi.nlm.nih.gov/pmc/blobs/e519/12378211/3f89c2bcd4d3/41467_2025_63276_Fig5_HTML.jpg
https://cdn.ncbi.nlm.nih.gov/pmc/blobs/e519/12378211/a7b2d1ac6226/41467_2025_63276_Fig6_HTML.jpg
https://cdn.ncbi.nlm.nih.gov/pmc/blobs/e519/12378211/4a3141687491/41467_2025_63276_Fig7_HTML.jpg

相似文献

1
Fishing out AIEC with FimH capturing microgels for inflammatory bowel disease treatment.利用FimH捕获微凝胶筛选粘附侵袭性大肠杆菌用于治疗炎症性肠病
Nat Commun. 2025 Aug 25;16(1):7924. doi: 10.1038/s41467-025-63276-7.
2
Point mutations in FimH adhesin of Crohn's disease-associated adherent-invasive Escherichia coli enhance intestinal inflammatory response.FimH 黏附素点突变增强了与克罗恩病相关的黏附侵袭性大肠杆菌的肠道炎症反应。
PLoS Pathog. 2013 Jan;9(1):e1003141. doi: 10.1371/journal.ppat.1003141. Epub 2013 Jan 24.
3
Bacterial vampirism mediated through taxis to serum.细菌通过向血清移动实现吸血鬼行为。
Elife. 2024 May 31;12:RP93178. doi: 10.7554/eLife.93178.
4
Prescription of Controlled Substances: Benefits and Risks管制药品的处方:益处与风险
5
Development of Heptylmannoside-Based Glycoconjugate Antiadhesive Compounds against Adherent-Invasive Escherichia coli Bacteria Associated with Crohn's Disease.基于庚基甘露糖苷的糖缀合物抗粘附化合物的研发,用于对抗与克罗恩病相关的侵袭性大肠杆菌。
mBio. 2015 Nov 17;6(6):e01298-15. doi: 10.1128/mBio.01298-15.
6
Adherent-invasive in inflammatory bowel disease.黏附侵袭型;炎症性肠病
Gut. 2018 Mar;67(3):574-587. doi: 10.1136/gutjnl-2017-314903. Epub 2017 Nov 15.
7
Uropathogenic Escherichia coli niche occupancy determines the effects of mucosal vaccine against FimH.尿路致病性大肠杆菌的生态位占据决定了针对FimH的黏膜疫苗的效果。
Cell Rep. 2025 Aug 26;44(8):116077. doi: 10.1016/j.celrep.2025.116077. Epub 2025 Aug 2.
8
Intestinal biomarkers, microbiota composition, and genetic predisposition to inflammatory bowel disease as predictors of Parkinson's disease manifestation.肠道生物标志物、微生物群组成以及炎症性肠病的遗传易感性作为帕金森病表现的预测指标。
J Parkinsons Dis. 2025 May 7:1877718X251328567. doi: 10.1177/1877718X251328567.
9
The total gut mucosal and fecal bacterial load increases in successful treatment of inflammatory bowel disease with infliximab.使用英夫利昔单抗成功治疗炎症性肠病时,肠道黏膜和粪便中的细菌总量会增加。
Microbiol Spectr. 2025 Aug 5;13(8):e0189424. doi: 10.1128/spectrum.01894-24. Epub 2025 Jul 7.
10
The rs1893217 IBD risk allele increases susceptibility to AIEC invasion by a JAK-STAT-CEACAM6 axis.rs1893217炎症性肠病风险等位基因通过JAK-STAT-CEACAM6轴增加对肠侵袭性大肠埃希菌感染的易感性。
Gut Microbes. 2025 Dec;17(1):2526136. doi: 10.1080/19490976.2025.2526136. Epub 2025 Jul 7.

本文引用的文献

1
Understanding the therapeutic toolkit for inflammatory bowel disease.了解炎症性肠病的治疗方法。
Nat Rev Gastroenterol Hepatol. 2025 Jan 31. doi: 10.1038/s41575-024-01035-7.
2
Interrelation between gut microbiota, SCFA, and fatty acid composition in pigs.猪肠道微生物群、短链脂肪酸和脂肪酸组成的相互关系。
mSystems. 2024 Jan 23;9(1):e0104923. doi: 10.1128/msystems.01049-23. Epub 2023 Dec 14.
3
Orally Administrated Inflamed Colon-Targeted Nanotherapeutics for Inflammatory Bowel Disease Treatment by Oxidative Stress Level Modulation in Colitis.
通过调节结肠炎氧化应激水平口服给药用于治疗炎症性肠病的结肠靶向纳米治疗剂
ACS Nano. 2023 Dec 12;17(23):24404-24416. doi: 10.1021/acsnano.3c11089. Epub 2023 Dec 1.
4
PUFAs add fuel to Crohn's disease-associated AIEC-induced enteritis by exacerbating intestinal epithelial lipid peroxidation.多不饱和脂肪酸通过加剧肠道上皮脂质过氧化加重与 Crohn 病相关的 AIEC 诱导的肠炎。
Gut Microbes. 2023 Dec;15(2):2265578. doi: 10.1080/19490976.2023.2265578. Epub 2023 Oct 6.
5
Reduced abundance of butyric acid-producing bacteria in the ileal mucosa-associated microbiota of ulcerative colitis patients.溃疡性结肠炎患者回肠黏膜相关微生物群中丁酸产生菌的丰度降低。
J Clin Biochem Nutr. 2023 Jul;73(1):77-83. doi: 10.3164/jcbn.22-86. Epub 2023 Apr 14.
6
PARP2 downregulation in T cells ameliorates lipopolysaccharide-induced inflammation of the large intestine.T 细胞中 PARP2 的下调可改善脂多糖诱导的大肠炎症。
Front Immunol. 2023 Jun 30;14:1135410. doi: 10.3389/fimmu.2023.1135410. eCollection 2023.
7
Development of the global inflammatory bowel disease visualization of epidemiology studies in the 21 century (GIVES-21).21 世纪全球炎症性肠病流行病学研究可视化发展(GIVES-21)。
BMC Med Res Methodol. 2023 May 25;23(1):129. doi: 10.1186/s12874-023-01944-2.
8
Liquid-embedded (bio)printing of alginate-free, standalone, ultrafine, and ultrathin-walled cannular structures.无海藻酸盐的、独立的、超细和超薄壁管状结构的液浸式(生物)打印。
Proc Natl Acad Sci U S A. 2023 Feb 14;120(7):e2206762120. doi: 10.1073/pnas.2206762120. Epub 2023 Feb 6.
9
A Review of Inflammatory Bowel Disease: A Model of Microbial, Immune and Neuropsychological Integration.炎症性肠病综述:微生物、免疫与神经心理整合模型
Public Health Rev. 2021 May 5;42:1603990. doi: 10.3389/phrs.2021.1603990. eCollection 2021.
10
The Tight Junction Protein ZO-1 Is Dispensable for Barrier Function but Critical for Effective Mucosal Repair.紧密连接蛋白 ZO-1 对于屏障功能不是必需的,但对于有效的黏膜修复是至关重要的。
Gastroenterology. 2021 Dec;161(6):1924-1939. doi: 10.1053/j.gastro.2021.08.047. Epub 2021 Aug 31.