Suppr超能文献

在抗阻运动引起的肌肥大中,大鼠骨骼肌中 IL-6/STAT1/STAT3 依赖性基因表达的早期激活。

Early activation of rat skeletal muscle IL-6/STAT1/STAT3 dependent gene expression in resistance exercise linked to hypertrophy.

机构信息

INRA, UMR866 Dynamique Musculaire et Métabolisme, Université Montpellier 1, F-34060, Montpellier, France.

出版信息

PLoS One. 2013;8(2):e57141. doi: 10.1371/journal.pone.0057141. Epub 2013 Feb 22.

Abstract

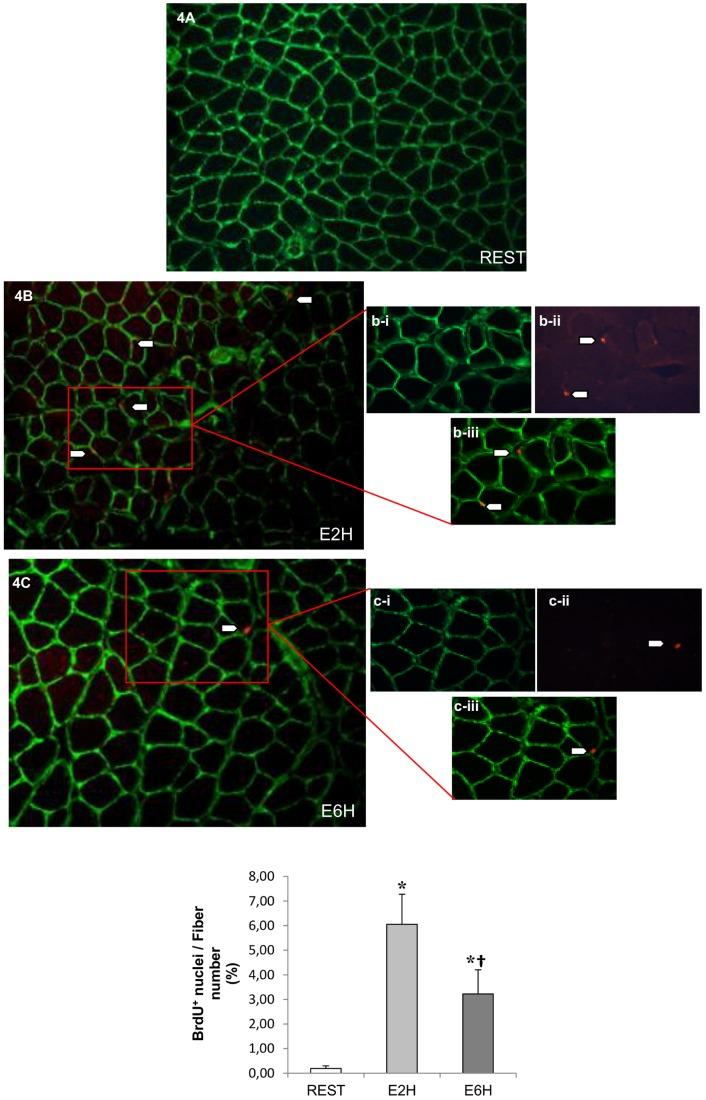
Cytokine interleukin-6 (IL-6) is an essential regulator of satellite cell-mediated hypertrophic muscle growth through the transcription factor signal transducer and activator of transcription 3 (STAT3). The importance of this pathway linked to the modulation of myogenic regulatory factors expression in rat skeletal muscle undergoing hypertrophy following resistance exercise, has not been investigated. In this study, the phosphorylation and nuclear localization of STAT3, together with IL-6/STAT3-responsive gene expression, were measured after both a single bout of resistance exercise and 10 weeks of training. Flexor Digitorum Profundus muscle samples from Wistar rats were obtained 2 and 6 hours after a single bout of resistance exercise and 72 h after the last bout of either 2, 4, or 10 weeks of resistance training. We observed an increase in IL-6 and SOCS3 mRNAs concomitant with phosphorylation of STAT1 and STAT3 after 2 and 6 hours of a single bout of exercise (p<0.05). STAT3-dependent early responsive genes such as CyclinD1 and cMyc were also upregulated whereas MyoD and Myf5 mRNAs were downregulated (p<0.05). BrdU-positive satellite cells increased at 2 and 6 hours after exercise (p<0.05). Muscle fiber hypertrophy reached up to 100% after 10 weeks of training and the mRNA expression of Myf5, c-Myc and Cyclin-D1 decreased, whereas IL-6 mRNA remained upregulated. We conclude that the IL-6/STAT1/STAT3 signaling pathway and its responsive genes after a single bout of resistance exercise are an important event regulating the SC pool and behavior involved in muscle hypertrophy after ten weeks of training in rat skeletal muscle.

摘要

细胞因子白细胞介素-6(IL-6)是通过转录因子信号转导子和转录激活子 3(STAT3)调节卫星细胞介导的肥大肌肉生长的重要调节剂。该途径与阻力运动后大鼠骨骼肌中肌生成调节因子表达的调节有关,其重要性尚未得到研究。在这项研究中,在单次阻力运动后以及 10 周训练后,测量了 STAT3 的磷酸化和核定位以及 IL-6/STAT3 反应性基因表达。从 Wistar 大鼠的屈肌深肌中获取了单次阻力运动后 2 小时和 6 小时以及最后一次 2 周、4 周或 10 周阻力训练后 72 小时的肌肉样本。我们观察到在单次运动后的 2 小时和 6 小时,IL-6 和 SOCS3 mRNA 的磷酸化伴随着 STAT1 和 STAT3 的磷酸化增加(p<0.05)。STAT3 依赖性早期反应基因如 CyclinD1 和 cMyc 也被上调,而 MyoD 和 Myf5 mRNA 被下调(p<0.05)。运动后 2 小时和 6 小时,BrdU 阳性卫星细胞增加(p<0.05)。经过 10 周的训练,肌肉纤维肥大达到 100%,Myf5、c-Myc 和 Cyclin-D1 的 mRNA 表达减少,而 IL-6 mRNA 仍然上调。我们得出结论,单次阻力运动后 IL-6/STAT1/STAT3 信号通路及其反应性基因是调节 SC 池和参与大鼠骨骼肌 10 周训练后肌肉肥大的行为的重要事件。

https://cdn.ncbi.nlm.nih.gov/pmc/blobs/50d3/3579782/a80ceae005d4/pone.0057141.g001.jpg

文献AI研究员

20分钟写一篇综述,助力文献阅读效率提升50倍。

立即体验

用中文搜PubMed

大模型驱动的PubMed中文搜索引擎

马上搜索

文档翻译

学术文献翻译模型,支持多种主流文档格式。

立即体验