Suppr超能文献

纳米气泡作为用于促进小细胞肺癌成像的超声造影剂。

Nanobubbles as ultrasound contrast agent for facilitating small cell lung cancer imaging.

作者信息

Wang Jin-Ping, Zhou Xiao-Lin, Yan Ji-Ping, Zheng Rong-Qin, Wang Wei

机构信息

Key Laboratory of Chemical Biology and Molecular Engineering of Ministry of Education, Institute of Biotechnology, Shanxi University, Taiyuan, Shanxi, China.

Department of Ultrasound, Shanxi Provincial People's Hospital, Taiyuan, Shanxi, China.

出版信息

Oncotarget. 2017 May 24;8(44):78153-78162. doi: 10.18632/oncotarget.18155. eCollection 2017 Sep 29.

Abstract

BACKGROUND

This study is to investigate whether liposome-loaded nanobubbles (NBs) have the potentials to carry anti-pro-gastrin releasing peptide (proGRP) antibody and enhance ultrasound imaging of small cell lung cancer (SCLC).

METHODS

NBs were loaded with an antibody against SCLC (H446 cell line). A nude mouse model of SCLC tumor was established by a subcutaneous injection of tumor cell suspension in the dorsal skin. Images for contrast-enhanced ultrasound (CEUS) of xenograft tumors in the model were obtained through an intravenous injection of blank and targeting NBs.

RESULTS

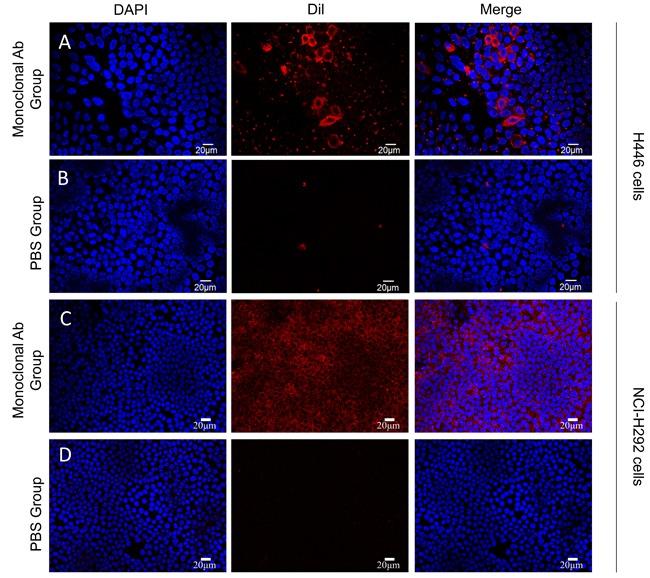
The targeted NBs showed a high binding affinity (90.2 ± 3.24%) of the H446 cells in vitro as compared to the blank NBs that have no affinity of the cells. In process of tumor imaging, no mice died of the NB application. CEUS imaging of the targeted NBs manifested significant increases in half-peak time, area under the curve and peak intensity as compared to the blank NBs. In the model of SCLC, treatment with targeting NBs resulted in a large amount of fluorescent dye accumulated in the tumor tissue but not the liver tissue.

CONCLUSION

Our results indicate that NBs can carry antibody traveling to the SCLC cells, whereas application of NBs is safe and reliable in serving as ultrasound contrast agents for improving SCLC imaging.

摘要

背景

本研究旨在探讨负载脂质体的纳米气泡(NBs)是否有潜力携带抗胃泌素释放肽前体(proGRP)抗体并增强小细胞肺癌(SCLC)的超声成像。

方法

将抗SCLC(H446细胞系)抗体负载于纳米气泡。通过在背部皮肤皮下注射肿瘤细胞悬液建立SCLC肿瘤裸鼠模型。通过静脉注射空白纳米气泡和靶向纳米气泡,获取模型中异种移植肿瘤的超声造影(CEUS)图像。

结果

与对细胞无亲和力的空白纳米气泡相比,靶向纳米气泡在体外对H446细胞显示出高结合亲和力(90.2±3.24%)。在肿瘤成像过程中,没有小鼠因应用纳米气泡死亡。与空白纳米气泡相比,靶向纳米气泡的CEUS成像显示半峰时间、曲线下面积和峰值强度显著增加。在SCLC模型中,用靶向纳米气泡治疗导致大量荧光染料积聚在肿瘤组织而非肝脏组织中。

结论

我们的结果表明,纳米气泡可以携带抗体到达SCLC细胞,而纳米气泡作为超声造影剂用于改善SCLC成像安全可靠。

https://cdn.ncbi.nlm.nih.gov/pmc/blobs/ba85/5652846/2cf0207d2b8b/oncotarget-08-78153-g001.jpg

文献AI研究员

20分钟写一篇综述,助力文献阅读效率提升50倍。

立即体验

用中文搜PubMed

大模型驱动的PubMed中文搜索引擎

马上搜索

文档翻译

学术文献翻译模型,支持多种主流文档格式。

立即体验