Department of Physics and Astronomy, University of Victoria, PO BOX 1700 STN CSC, Victoria, BC, V8W 2Y2, Canada.
Trev and Joyce Deeley Research Centre, BC Cancer, 2410 Lee Avenue, Victoria, BC, V8R 6V5, Canada.
BMC Cancer. 2019 May 20;19(1):474. doi: 10.1186/s12885-019-5686-1.
Radiation therapy is a standard form of treating non-small cell lung cancer, however, local recurrence is a major issue with this type of treatment. A better understanding of the metabolic response to radiation therapy may provide insight into improved approaches for local tumour control. Cyclic hypoxia is a well-established determinant that influences radiation response, though its impact on other metabolic pathways that control radiosensitivity remains unclear.
We used an established Raman spectroscopic (RS) technique in combination with immunofluorescence staining to measure radiation-induced metabolic responses in human non-small cell lung cancer (NSCLC) tumour xenografts. Tumours were established in NOD.CB17-Prkdc/J mice, and were exposed to radiation doses of 15 Gy or left untreated. Tumours were harvested at 2 h, 1, 3 and 10 days post irradiation.
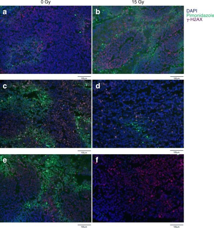
We report that xenografted NSCLC tumours demonstrate rapid and stable metabolic changes, following exposure to 15 Gy radiation doses, which can be measured by RS and are dictated by the extent of local tissue oxygenation. In particular, fluctuations in tissue glycogen content were observed as early as 2 h and as late as 10 days post irradiation. Metabolically, this signature was correlated to the extent of tumour regression. Immunofluorescence staining for γ-H2AX, pimonidazole and carbonic anhydrase IX (CAIX) correlated with RS-identified metabolic changes in hypoxia and reoxygenation following radiation exposure.
Our results indicate that RS can identify sequential changes in hypoxia and tumour reoxygenation in NSCLC, that play crucial roles in radiosensitivity.
放射疗法是治疗非小细胞肺癌的标准形式,然而,这种治疗方法存在局部复发的主要问题。更好地了解对放射治疗的代谢反应可能为改善局部肿瘤控制的方法提供深入了解。周期性缺氧是影响放射反应的一个既定决定因素,但其对控制放射敏感性的其他代谢途径的影响尚不清楚。
我们使用已建立的拉曼光谱(RS)技术结合免疫荧光染色来测量人非小细胞肺癌(NSCLC)肿瘤异种移植物中的放射诱导代谢反应。在 NOD.CB17-Prkdc/J 小鼠中建立肿瘤,并暴露于 15Gy 或未接受辐射的剂量。在辐照后 2h、1d、3d 和 10d 收获肿瘤。
我们报告说,异种移植的 NSCLC 肿瘤在暴露于 15Gy 辐射剂量后表现出快速而稳定的代谢变化,这可以通过 RS 测量,并由局部组织氧合程度决定。特别是,组织糖原含量的波动早在 2h 就观察到,最晚在辐照后 10d 出现。从代谢角度来看,这种特征与肿瘤消退的程度相关。免疫荧光染色用于 γ-H2AX、pimonidazole 和碳酸酐酶 IX(CAIX)与放射暴露后 RS 鉴定的缺氧和再氧合中的代谢变化相关。
我们的结果表明,RS 可以识别 NSCLC 中缺氧和肿瘤再氧合的顺序变化,这些变化在放射敏感性中起着至关重要的作用。