Suppr超能文献

对在采用精密机械冲压工艺制造的微孔钛膜上培养的前成骨细胞MC3T3-E1的评估。

Evaluation of Preosteoblast MC3T3-E1 Cells Cultured on a Microporous Titanium Membrane Fabricated Using a Precise Mechanical Punching Process.

作者信息

Zhang Jingyu, Sakisaka Yukihiko, Ishihata Hiroshi, Maruyama Kentaro, Nemoto Eiji, Chiba Shigeki, Nagamine Masaru, Hasegawa Hiroshi, Yamada Satoru

机构信息

Division of Periodontology and Endodontology, Department of Oral Biology, Tohoku University Graduate School of Dentistry, 4-1 Seiryo-machi, Aoba-ku, Sendai 980-8575, Japan.

Nagamine Manufacturing Co., Ltd., 1725-26, Kishinoue, Manno-town, Nakatado-Gun, Kagawa-prefecture 766-0026, Japan.

出版信息

Materials (Basel). 2020 Nov 22;13(22):5288. doi: 10.3390/ma13225288.

Abstract

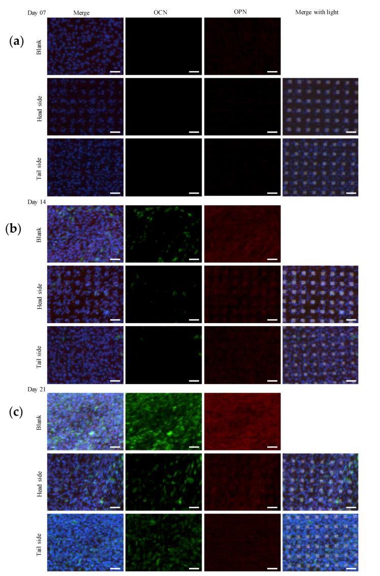
The surface topography of Titanium (Ti) combined toughness and biocompatibility affects the attachment and migration of cells. Limited information of morphological characteristics, formed by precise machining in micron order, is currently available on the Ti that could promote osteoconduction. In the present study, a pure Ti membrane was pierced with precise 25 μm square holes at 75 μm intervals and appear burrs at the edge of aperture. We defined the surface without burrs as the "Head side" and that with burrs as the "Tail side". The effects of the machining microtopography on the proliferation and differentiation of the preosteoblasts (MC3T3-E1 cells) were investigated. The cells were more likely to migrate to, and accumulate in, the aperture of holes on the head side, but grew uniformly regardless of holes on the tail side. The topography on the both surfaces increased osteopontin gene expression levels. Osteocalcin expression levels were higher on the head side than one on the blank scaffold and tail side ( < 0.05). The osteocalcin protein expression levels were higher on the tail side than on the head side after 21 days of cultivation, and were comparable to the proportion of the calcified area ( < 0.05). These results demonstrate the capacity of a novel microporous Ti membrane fabricated using a precise mechanical punching process to promote cell proliferation and activity.

摘要

钛(Ti)的表面形貌兼具韧性和生物相容性,会影响细胞的附着和迁移。目前关于通过微米级精密加工形成的、可促进骨传导的钛的形态特征信息有限。在本研究中,一块纯钛膜被以75μm的间距精确打出25μm见方的孔,且在孔边缘出现毛刺。我们将无毛刺的表面定义为“头部侧”,有毛刺的表面定义为“尾部侧”。研究了加工微观形貌对前成骨细胞(MC3T3 - E1细胞)增殖和分化的影响。细胞更倾向于迁移至头部侧孔的孔径处并在其中聚集,但在尾部侧,无论有无孔,细胞生长均一。两个表面的形貌均提高了骨桥蛋白基因表达水平。头部侧骨钙素表达水平高于空白支架和尾部侧(<0.05)。培养21天后,尾部侧骨钙素蛋白表达水平高于头部侧,且与钙化面积比例相当(<0.05)。这些结果证明了采用精密机械冲压工艺制造的新型微孔钛膜具有促进细胞增殖和活性的能力。

https://cdn.ncbi.nlm.nih.gov/pmc/blobs/cf8a/7700521/6eb3f2d32d2c/materials-13-05288-g001.jpg

相似文献

4
Differences in the calcification of preosteoblast cultured on sputter-deposited titanium, zirconium, and gold.
J Biomed Mater Res A. 2016 Mar;104(3):639-651. doi: 10.1002/jbm.a.35598. Epub 2015 Nov 14.
7
Effect of Thymosin beta4 on the Differentiation and Mineralization of MC3T3-E1 Cell on a Titanium Surface.
J Nanosci Nanotechnol. 2016 Feb;16(2):1979-83. doi: 10.1166/jnn.2016.11928.
8
The dual-effects of LaCl₃ on the proliferation, osteogenic differentiation, and mineralization of MC3T3-E1 cells.
Biol Trace Elem Res. 2012 Dec;150(1-3):433-40. doi: 10.1007/s12011-012-9486-6. Epub 2012 Aug 14.
10

引用本文的文献

1
4D-Printable Photocrosslinkable Polyurethane-Based Inks for Tissue Scaffold and Actuator Applications.
Small. 2024 Feb;20(6):e2306387. doi: 10.1002/smll.202306387. Epub 2023 Sep 28.

本文引用的文献

3
Oral Implants: The Paradigm Shift in Restorative Dentistry.
J Dent Res. 2019 Nov;98(12):1287-1293. doi: 10.1177/0022034519853574.
5
Mechanobiologically optimization of a 3D titanium-mesh implant for mandibular large defect: A simulated study.
Mater Sci Eng C Mater Biol Appl. 2019 Nov;104:109934. doi: 10.1016/j.msec.2019.109934. Epub 2019 Jul 3.
6
Titanium-Tissue Interface Reaction and Its Control With Surface Treatment.
Front Bioeng Biotechnol. 2019 Jul 17;7:170. doi: 10.3389/fbioe.2019.00170. eCollection 2019.
7
Evaluation of a Newly Designed Microperforated Pure Titanium Membrane for Guided Bone Regeneration.
Int J Oral Maxillofac Implants. 2019 Mar/Apr;34(2):411-422. doi: 10.11607/jomi.6777.
8
Osseointegration of titanium scaffolds manufactured by selective laser melting in rabbit femur defect model.
J Mater Sci Mater Med. 2019 Feb 12;30(2):26. doi: 10.1007/s10856-019-6227-9.
9
Transcriptomic characterization of signaling pathways associated with osteoblastic differentiation of MC-3T3E1 cells.
PLoS One. 2019 Jan 4;14(1):e0204197. doi: 10.1371/journal.pone.0204197. eCollection 2019.
10
Failure load and stress analysis of orthodontic miniscrews with different transmucosal collar diameter.
J Mech Behav Biomed Mater. 2018 Nov;87:132-137. doi: 10.1016/j.jmbbm.2018.07.032. Epub 2018 Jul 24.

文献AI研究员

20分钟写一篇综述,助力文献阅读效率提升50倍。

立即体验

用中文搜PubMed

大模型驱动的PubMed中文搜索引擎

马上搜索

文档翻译

学术文献翻译模型,支持多种主流文档格式。

立即体验