Suppr超能文献

四种猪肠道冠状病毒在 LLC-PK1 细胞中的复制能力。

Replicative capacity of four porcine enteric coronaviruses in LLC-PK1 cells.

机构信息

State Key Laboratory of Agricultural Microbiology, College of Veterinary Medicine, Huazhong Agricultural University, Wuhan, 430070, People's Republic of China.

Key Laboratory of Preventive Veterinary Medicine in Hubei Province, The Cooperative Innovation Center for Sustainable Pig Production, Wuhan, 430070, People's Republic of China.

出版信息

Arch Virol. 2021 Mar;166(3):935-941. doi: 10.1007/s00705-020-04947-2. Epub 2021 Jan 25.

Abstract

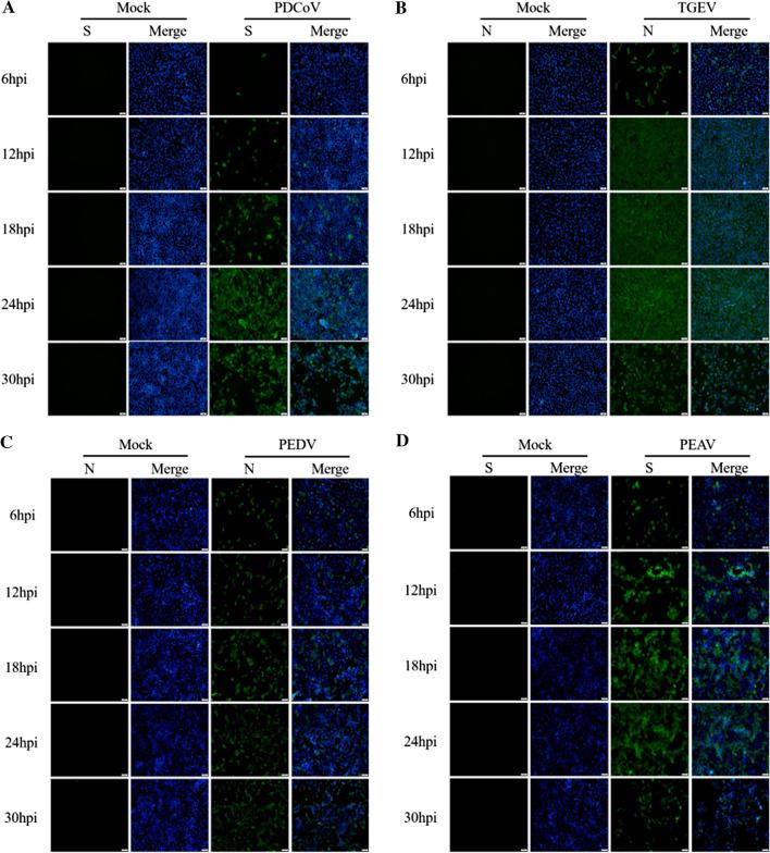
Enteric coronaviruses (CoVs) are major pathogens that cause diarrhea in piglets. To date, four porcine enteric CoVs have been identified: transmissible gastroenteritis virus (TGEV), porcine epidemic diarrhea virus (PEDV), porcine deltacoronavirus (PDCoV), and HKU2-like porcine enteric alphacoronavirus (PEAV). In this study, we investigated the replicative capacity of these four enteric CoVs in LLC-PK1 cells, a porcine kidney cell line. The results showed that LLC-PK1 cells are susceptible to all four enteric CoVs, particularly to TGEV and PDCoV infections, indicating that LLC-PK1 cells can be applied to porcine enteric CoV research in vitro, particularly for coinfection studies.

摘要

肠冠状病毒(CoVs)是引起仔猪腹泻的主要病原体。迄今为止,已鉴定出四种猪肠冠状病毒:传染性胃肠炎病毒(TGEV)、猪流行性腹泻病毒(PEDV)、猪δ冠状病毒(PDCoV)和 HKU2 样猪肠α冠状病毒(PEAV)。在本研究中,我们研究了这四种肠冠状病毒在猪肾细胞系 LLC-PK1 中的复制能力。结果表明,LLC-PK1 细胞易感染这四种肠冠状病毒,特别是对 TGEV 和 PDCoV 的感染,这表明 LLC-PK1 细胞可应用于体外猪肠冠状病毒研究,特别是用于共感染研究。

https://cdn.ncbi.nlm.nih.gov/pmc/blobs/7fe0/7831621/b0c0bbd8e780/705_2020_4947_Fig1_HTML.jpg

文献检索

告别复杂PubMed语法,用中文像聊天一样搜索,搜遍4000万医学文献。AI智能推荐,让科研检索更轻松。

立即免费搜索

文件翻译

保留排版,准确专业,支持PDF/Word/PPT等文件格式,支持 12+语言互译。

免费翻译文档

深度研究

AI帮你快速写综述,25分钟生成高质量综述,智能提取关键信息,辅助科研写作。

立即免费体验