• 文献检索
  • 文档翻译
  • 深度研究
  • 学术资讯
  • Suppr Zotero 插件Zotero 插件
  • 邀请有礼
  • 套餐&价格
  • 历史记录
应用&插件
Suppr Zotero 插件Zotero 插件浏览器插件Mac 客户端Windows 客户端微信小程序
定价
高级版会员购买积分包购买API积分包
服务
文献检索文档翻译深度研究API 文档MCP 服务
关于我们
关于 Suppr公司介绍联系我们用户协议隐私条款
关注我们

Suppr 超能文献

核心技术专利:CN118964589B侵权必究
粤ICP备2023148730 号-1Suppr @ 2026

文献检索

告别复杂PubMed语法,用中文像聊天一样搜索,搜遍4000万医学文献。AI智能推荐,让科研检索更轻松。

立即免费搜索

文件翻译

保留排版,准确专业,支持PDF/Word/PPT等文件格式,支持 12+语言互译。

免费翻译文档

深度研究

AI帮你快速写综述,25分钟生成高质量综述,智能提取关键信息,辅助科研写作。

立即免费体验

神经纤维瘤病 1 型的基因型-表型相关性:NF1 全基因缺失导致高肿瘤负担和肿瘤生长增加。

Genotype-phenotype correlation in neurofibromatosis type-1: NF1 whole gene deletions lead to high tumor-burden and increased tumor-growth.

机构信息

Department of Diagnostic and Interventional Radiology and Nuclear Medicine, University Medical Center Hamburg-Eppendorf, Hamburg, Germany.

Department of Neurology, University Medical Center Hamburg-Eppendorf, Hamburg, Germany.

出版信息

PLoS Genet. 2021 May 5;17(5):e1009517. doi: 10.1371/journal.pgen.1009517. eCollection 2021 May.

DOI:10.1371/journal.pgen.1009517
PMID:33951044
原文链接:https://pmc.ncbi.nlm.nih.gov/articles/PMC8099117/
Abstract

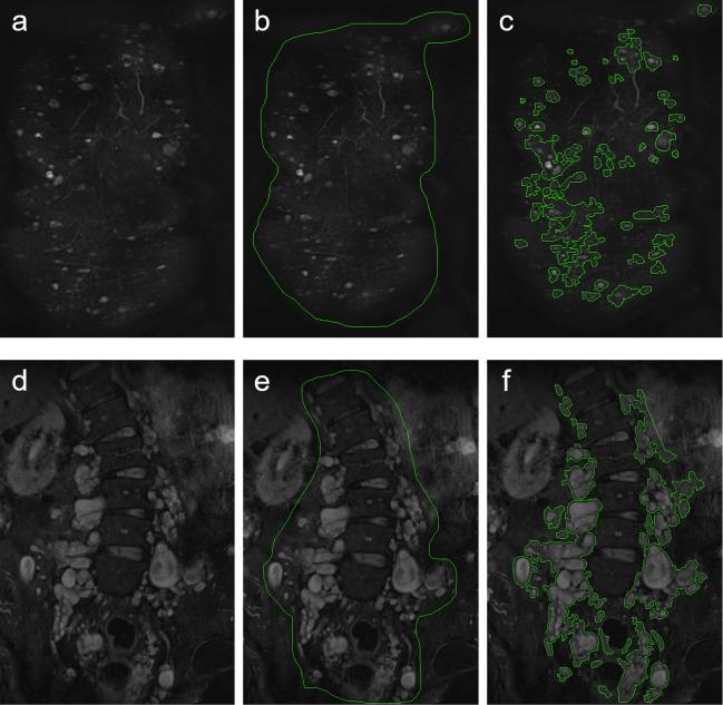
Neurofibromatosis type-1 (NF1) patients suffer from cutaneous and subcutaneous neurofibromas (CNF) and large plexiform neurofibromas (PNF). Whole gene deletions of the NF1 gene can cause a more severe phenotype compared to smaller intragenic changes. Two distinct groups of NF1 whole gene deletions are type-1 deletions and atypical deletions. Our aim was to assess volumes and averaged annual growth-rates of CNF and PNF in patients with NF1 whole gene deletions and to compare these with NF1 patients without large deletions of the NF1 gene. We retrospectively evaluated 140 whole-body MR examinations of 38 patients with NF1 whole gene deletions (type-1 group: n = 27/atypical group n = 11) and an age- and sex matched collective of 38 NF1-patients. Age-dependent subgroups were created (0-18 vs >18 years). Sixty-four patients received follow-up MRI examinations (NF1whole gene deletion n = 32/control group n = 32). Whole-body tumor-volumes were semi-automatically assessed (MedX, V3.42). Tumor volumes and averaged annual growth-rates were compared. Median tumor-burden was significantly higher in the type-1 group (418ml; IQR 77 - 950ml, p = 0.012) but not in the atypical group (356ml;IQR 140-1190ml, p = 0.099) when compared to the controls (49ml; IQR 11-691ml). Averaged annual growth rates were significantly higher in both the type-1 group (14%/year; IQR 45-36%/year, p = 0.004) and atypical group (11%/year; IQR 5-23%/year, p = 0.014) compared to the controls (4%/year; IQR1-8%/year). Averaged annual growth rates were significantly higher in pediatric patients with type-1 deletions (21%/year) compared with adult patients (8%/year, p = 0.014) and also compared with pediatric patients without large deletions of the NF1 gene (3.3%/year, p = 0.0015). NF1 whole gene deletions cause a more severe phenotype of NF1 with higher tumor burden and higher growth-rates compared to NF1 patients without large deletions of the NF1 gene. In particular, pediatric patients with type-1 deletions display a pronounced tumor growth.

摘要

神经纤维瘤病 1 型(NF1)患者患有皮肤和皮下神经纤维瘤(CNF)和大型丛状神经纤维瘤(PNF)。NF1 基因的全基因缺失与较小的基因内变化相比,可能导致更严重的表型。NF1 全基因缺失有两种不同的类型:1 型缺失和非典型缺失。我们的目的是评估 NF1 全基因缺失患者的 CNF 和 PNF 体积和平均年增长率,并将其与 NF1 基因无大缺失的患者进行比较。我们回顾性评估了 38 例 NF1 全基因缺失患者(1 型组:n=27/非典型组:n=11)和 38 例年龄和性别匹配的 NF1 患者的 140 例全身磁共振检查。创建了年龄依赖的亚组(0-18 岁与>18 岁)。64 例患者接受了随访 MRI 检查(NF1 全基因缺失组 n=32/对照组 n=32)。使用 MedX(V3.42)半自动评估全身肿瘤体积。比较肿瘤体积和平均年增长率。1 型组的肿瘤负担中位数明显高于对照组(418ml;IQR 77-950ml,p=0.012),但非典型组(356ml;IQR 140-1190ml,p=0.099)则无显著差异。与对照组(49ml;IQR 11-691ml)相比,1 型组(14%/年;IQR 45-36%/年,p=0.004)和非典型组(11%/年;IQR 5-23%/年,p=0.014)的平均年增长率均显著更高。1 型组的儿童患者(21%/年)比成年患者(8%/年,p=0.014)和无 NF1 基因大缺失的儿童患者(3.3%/年,p=0.0015)的平均年增长率更高。与无 NF1 基因大缺失的 NF1 患者相比,NF1 全基因缺失导致 NF1 更严重的表型,肿瘤负担和生长率更高。特别是,1 型缺失的儿童患者表现出明显的肿瘤生长。

https://cdn.ncbi.nlm.nih.gov/pmc/blobs/78dd/8099117/f994484a473f/pgen.1009517.g003.jpg
https://cdn.ncbi.nlm.nih.gov/pmc/blobs/78dd/8099117/2c1e046d44e8/pgen.1009517.g001.jpg
https://cdn.ncbi.nlm.nih.gov/pmc/blobs/78dd/8099117/950697620b29/pgen.1009517.g002.jpg
https://cdn.ncbi.nlm.nih.gov/pmc/blobs/78dd/8099117/f994484a473f/pgen.1009517.g003.jpg
https://cdn.ncbi.nlm.nih.gov/pmc/blobs/78dd/8099117/2c1e046d44e8/pgen.1009517.g001.jpg
https://cdn.ncbi.nlm.nih.gov/pmc/blobs/78dd/8099117/950697620b29/pgen.1009517.g002.jpg
https://cdn.ncbi.nlm.nih.gov/pmc/blobs/78dd/8099117/f994484a473f/pgen.1009517.g003.jpg

相似文献

1
Genotype-phenotype correlation in neurofibromatosis type-1: NF1 whole gene deletions lead to high tumor-burden and increased tumor-growth.神经纤维瘤病 1 型的基因型-表型相关性:NF1 全基因缺失导致高肿瘤负担和肿瘤生长增加。
PLoS Genet. 2021 May 5;17(5):e1009517. doi: 10.1371/journal.pgen.1009517. eCollection 2021 May.
2
The effect of pregnancy on growth-dynamics of neurofibromas in Neurofibromatosis type 1.妊娠对 1 型神经纤维瘤病中神经纤维瘤生长动力学的影响。
PLoS One. 2020 Apr 28;15(4):e0232031. doi: 10.1371/journal.pone.0232031. eCollection 2020.
3
Internal tumor burden in neurofibromatosis Type I patients with large NF1 deletions.I 型神经纤维瘤病患者中存在较大 NF1 缺失的肿瘤内负荷。
Genes Chromosomes Cancer. 2012 May;51(5):447-51. doi: 10.1002/gcc.21931. Epub 2012 Feb 1.
4
Non-coding RNA ANRIL and the number of plexiform neurofibromas in patients with NF1 microdeletions.非编码 RNA ANRIL 与 NF1 微缺失患者神经纤维瘤丛的数量。
BMC Med Genet. 2012 Oct 26;13:98. doi: 10.1186/1471-2350-13-98.
5
NF1 deletions in S-100 protein-positive and negative cells of sporadic and neurofibromatosis 1 (NF1)-associated plexiform neurofibromas and malignant peripheral nerve sheath tumors.散发型及1型神经纤维瘤病(NF1)相关丛状神经纤维瘤和恶性外周神经鞘瘤中S-100蛋白阳性和阴性细胞的NF1缺失
Am J Pathol. 2001 Jul;159(1):57-61. doi: 10.1016/S0002-9440(10)61673-2.
6
Genetic analyses of mosaic neurofibromatosis type 1 with giant café-au-lait macule, plexiform neurofibroma and multiple melanocytic nevi.巨牛奶咖啡斑、丛状神经纤维瘤和多发性黑色素痣的神经纤维瘤病 1 型嵌合体的遗传学分析。
J Dermatol. 2020 Jun;47(6):658-662. doi: 10.1111/1346-8138.15327. Epub 2020 Apr 4.
7
Extensively high load of internal tumors determined by whole body MRI scanning in a patient with neurofibromatosis type 1 and a non-LCR-mediated 2-Mb deletion in 17q11.2.通过全身MRI扫描在一名1型神经纤维瘤病患者中确定存在广泛的高负荷内部肿瘤,该患者在17q11.2存在非LCR介导的2Mb缺失。
Hum Genet. 2005 May;116(6):466-75. doi: 10.1007/s00439-005-1265-4. Epub 2005 Mar 18.
8
Expanding the clinical phenotype of individuals with a 3-bp in-frame deletion of the NF1 gene (c.2970_2972del): an update of genotype-phenotype correlation.扩展 NF1 基因(c.2970_2972del)3 个碱基对框内缺失个体的临床表型:基因型-表型相关性的更新。
Genet Med. 2019 Apr;21(4):867-876. doi: 10.1038/s41436-018-0269-0. Epub 2018 Sep 7.
9
Mechanisms of loss of heterozygosity in neurofibromatosis type 1-associated plexiform neurofibromas.1型神经纤维瘤病相关丛状神经纤维瘤中杂合性缺失的机制
J Invest Dermatol. 2009 Mar;129(3):615-21. doi: 10.1038/jid.2008.274. Epub 2008 Sep 18.
10
NF1 mutations in neurofibromatosis 1 patients with plexiform neurofibromas.患有丛状神经纤维瘤的1型神经纤维瘤病患者中的NF1突变
Hum Mutat. 2002 Mar;19(3):309. doi: 10.1002/humu.9018.

引用本文的文献

1
Quantitative MRI of dorsal root ganglion alterations in neurofibromatosis type 1 patients with or without pain.1型神经纤维瘤病伴或不伴疼痛患者背根神经节改变的定量磁共振成像
Eur Radiol Exp. 2025 May 28;9(1):57. doi: 10.1186/s41747-025-00594-x.
2
Increased Phenotype Severity Associated with Splice-Site Variants in a Hungarian Pediatric Neurofibromatosis 1 Cohort: A Retrospective Study.匈牙利儿科1型神经纤维瘤病队列中与剪接位点变异相关的表型严重程度增加:一项回顾性研究
Biomedicines. 2025 Jan 9;13(1):146. doi: 10.3390/biomedicines13010146.
3
SUCLG1 promotes aerobic respiration and progression in plexiform neurofibroma.

本文引用的文献

1
Null phenotype of neurofibromatosis type 1 in a carrier of a heterozygous atypical NF1 deletion due to mosaicism.由于嵌合体,NF1 杂合非典型缺失的携带者中出现 1 型神经纤维瘤病的无效表型。
Hum Mutat. 2020 Jul;41(7):1226-1231. doi: 10.1002/humu.24022. Epub 2020 Apr 13.
2
Selumetinib in Children with Inoperable Plexiform Neurofibromas.索拉非尼治疗不可手术的丛状神经纤维瘤患儿的疗效观察。
N Engl J Med. 2020 Apr 9;382(15):1430-1442. doi: 10.1056/NEJMoa1912735. Epub 2020 Mar 18.
3
Longitudinal evaluation of peripheral nerve sheath tumors in neurofibromatosis type 1: growth analysis of plexiform neurofibromas and distinct nodular lesions.
SUCLG1促进丛状神经纤维瘤中的有氧呼吸和进展。
Int J Oncol. 2025 Feb;66(2). doi: 10.3892/ijo.2024.5716. Epub 2025 Jan 3.
4
Expanding the phenotype of neurofibromatosis type 1 microdeletion syndrome.扩展1型神经纤维瘤病微缺失综合征的表型。
Am J Med Genet C Semin Med Genet. 2024 Dec;196(4):e32095. doi: 10.1002/ajmg.c.32095. Epub 2024 Jul 18.
5
Visual Deficits and Diagnostic and Therapeutic Strategies for Neurofibromatosis Type 1: Bridging Science and Patient-Centered Care.1型神经纤维瘤病的视觉缺陷及诊断与治疗策略:连接科学与以患者为中心的医疗
Vision (Basel). 2024 May 9;8(2):31. doi: 10.3390/vision8020031.
6
Study on the value of multi-dimensional conformal radiotherapy and functional imaging in tumor bioimaging.肿瘤生物成像中多维适形放疗与功能成像的价值研究
Transl Cancer Res. 2022 Oct;11(10):3780-3789. doi: 10.21037/tcr-22-2005.
7
Evaluation of magnetic resonance imaging-based radiomics characteristics for differentiation of benign and malignant peripheral nerve sheath tumors in neurofibromatosis type 1.基于磁共振成像的影像组学特征评价在 1 型神经纤维瘤病中对良性和恶性周围神经鞘瘤的鉴别诊断价值。
Neuro Oncol. 2022 Oct 3;24(10):1790-1798. doi: 10.1093/neuonc/noac100.
8
Atypical Microdeletions: Challenges and Opportunities for Genotype/Phenotype Correlations in Patients with Large Deletions.非典型微缺失:大缺失患者基因型/表型相关性的挑战与机遇。
Genes (Basel). 2021 Oct 19;12(10):1639. doi: 10.3390/genes12101639.
9
Classification of NF1 microdeletions and its importance for establishing genotype/phenotype correlations in patients with NF1 microdeletions.NF1 微缺失的分类及其在 NF1 微缺失患者建立基因型/表型相关性中的重要性。
Hum Genet. 2021 Dec;140(12):1635-1649. doi: 10.1007/s00439-021-02363-3. Epub 2021 Sep 18.
10
Severe Phenotype in Patients with Large Deletions of ..大片段缺失患者的严重表型
Cancers (Basel). 2021 Jun 13;13(12):2963. doi: 10.3390/cancers13122963.
1 型神经纤维瘤病外周神经鞘瘤的纵向评估:丛状神经纤维瘤和明显结节性病变的生长分析。
Neuro Oncol. 2020 Sep 29;22(9):1368-1378. doi: 10.1093/neuonc/noaa053.
4
Ultra-deep amplicon sequencing indicates absence of low-grade mosaicism with normal cells in patients with type-1 NF1 deletions.超高深度扩增子测序表明,1 型 NF1 缺失患者中不存在正常细胞的低级别镶嵌现象。
Hum Genet. 2019 Jan;138(1):73-81. doi: 10.1007/s00439-018-1961-5. Epub 2018 Nov 26.
5
Emerging genotype-phenotype relationships in patients with large NF1 deletions.伴有大片段NF1基因缺失患者中新出现的基因型-表型关系
Hum Genet. 2017 Apr;136(4):349-376. doi: 10.1007/s00439-017-1766-y. Epub 2017 Feb 17.
6
Distinctive Cancer Associations in Patients With Neurofibromatosis Type 1.神经纤维瘤病 1 型患者的独特癌症相关性。
J Clin Oncol. 2016 Jun 10;34(17):1978-86. doi: 10.1200/JCO.2015.65.3576. Epub 2016 Feb 29.
7
Multimodal Imaging in Neurofibromatosis Type 1-associated Nerve Sheath Tumors.1型神经纤维瘤病相关神经鞘瘤的多模态成像
Rofo. 2015 Dec;187(12):1084-92. doi: 10.1055/s-0035-1553505. Epub 2015 Sep 2.
8
Molecular Characterization of NF1 and Neurofibromatosis Type 1 Genotype-Phenotype Correlations in a Chinese Population.中国人群中NF1的分子特征及1型神经纤维瘤病的基因型-表型相关性
Sci Rep. 2015 Jun 9;5:11291. doi: 10.1038/srep11291.
9
Quantitative associations of scalp and body subcutaneous neurofibromas with internal plexiform tumors in neurofibromatosis 1.1型神经纤维瘤病中头皮及身体皮下神经纤维瘤与内部丛状肿瘤的定量关联
Am J Med Genet A. 2015 Jul;167(7):1518-24. doi: 10.1002/ajmg.a.37068. Epub 2015 Apr 21.
10
Benign whole body tumor volume is a risk factor for malignant peripheral nerve sheath tumors in neurofibromatosis type 1.1型神经纤维瘤病中,良性全身肿瘤体积是恶性外周神经鞘膜瘤的一个危险因素。
J Neurooncol. 2014 Jan;116(2):307-13. doi: 10.1007/s11060-013-1293-1. Epub 2013 Oct 29.