Suppr超能文献

SUFI:一种自动方法,用于对在老鼠和死后人脑组织中捕获的荧光多重图像进行光谱解混。

SUFI: an automated approach to spectral unmixing of fluorescent multiplex images captured in mouse and post-mortem human brain tissues.

机构信息

Lieber Institute for Brain Development, Johns Hopkins Medical Campus, Baltimore, MD, 21205, USA.

Department of Psychiatry and Behavioral Sciences, Johns Hopkins School of Medicine, Baltimore, MD, 21205, USA.

出版信息

BMC Neurosci. 2023 Jan 25;24(1):6. doi: 10.1186/s12868-022-00765-1.

Abstract

BACKGROUND

Multispectral fluorescence imaging coupled with linear unmixing is a form of image data collection and analysis that allows for measuring multiple molecular signals in a single biological sample. Multiple fluorescent dyes, each measuring a unique molecule, are simultaneously measured and subsequently "unmixed" to provide a read-out for each molecular signal. This strategy allows for measuring highly multiplexed signals in a single data capture session, such as multiple proteins or RNAs in tissue slices or cultured cells, but can often result in mixed signals and bleed-through problems across dyes. Existing spectral unmixing algorithms are not optimized for challenging biological specimens such as post-mortem human brain tissue, and often require manual intervention to extract spectral signatures. We therefore developed an intuitive, automated, and flexible package called SUFI: spectral unmixing of fluorescent images.

RESULTS

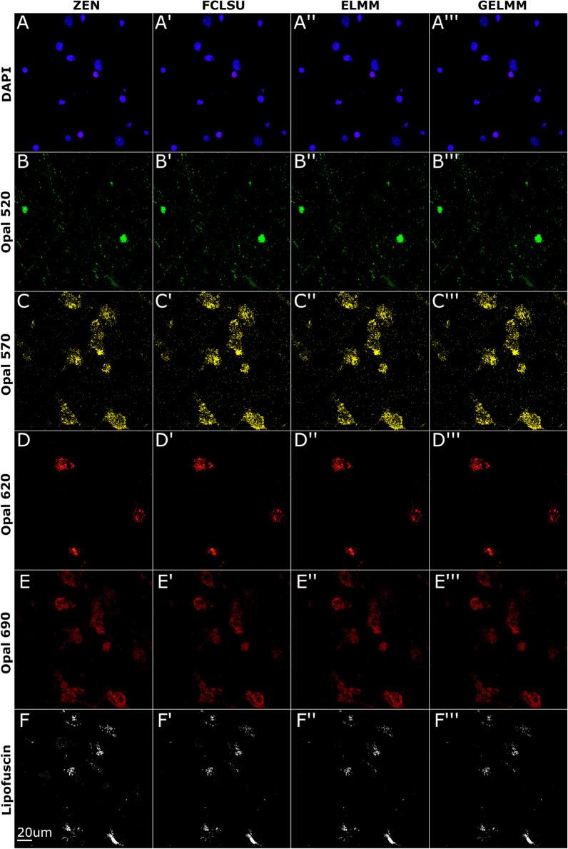
This package unmixes multispectral fluorescence images by automating the extraction of spectral signatures using vertex component analysis, and then performs one of three unmixing algorithms derived from remote sensing. We evaluate these remote sensing algorithms' performances on four unique biological datasets and compare the results to unmixing results obtained using ZEN Black software (Zeiss). We lastly integrate our unmixing pipeline into the computational tool dotdotdot, which is used to quantify individual RNA transcripts at single cell resolution in intact tissues and perform differential expression analysis, and thereby provide an end-to-end solution for multispectral fluorescence image analysis and quantification.

CONCLUSIONS

In summary, we provide a robust, automated pipeline to assist biologists with improved spectral unmixing of multispectral fluorescence images.

摘要

背景

多光谱荧光成像与线性解混是一种图像数据采集和分析形式,可在单个生物样本中测量多个分子信号。同时测量多个荧光染料,每个染料测量一个独特的分子,然后进行“解混”,以提供每个分子信号的读数。这种策略允许在单个数据捕获会话中测量高度多重化的信号,例如组织切片或培养细胞中的多个蛋白质或 RNA,但通常会导致染料之间的混合信号和串扰问题。现有的光谱解混算法针对诸如死后人脑组织等具有挑战性的生物标本并未进行优化,并且通常需要手动干预才能提取光谱特征。因此,我们开发了一个直观、自动化和灵活的软件包,称为 SUFI:荧光图像的光谱解混。

结果

该软件包通过使用顶点成分分析自动提取光谱特征来解混多光谱荧光图像,然后使用三种源自遥感的解混算法之一进行解混。我们在四个独特的生物数据集上评估了这些遥感算法的性能,并将结果与使用 Zeiss 的 ZEN Black 软件获得的解混结果进行比较。最后,我们将我们的解混流水线集成到 dotdotdot 计算工具中,该工具用于在完整组织中以单细胞分辨率定量单个 RNA 转录本,并进行差异表达分析,从而为多光谱荧光图像分析和定量提供端到端解决方案。

结论

总之,我们提供了一个强大的、自动化的流水线,以帮助生物学家改善多光谱荧光图像的光谱解混。

https://cdn.ncbi.nlm.nih.gov/pmc/blobs/45b5/9878864/e94fc0e11921/12868_2022_765_Fig1_HTML.jpg

文献检索

告别复杂PubMed语法,用中文像聊天一样搜索,搜遍4000万医学文献。AI智能推荐,让科研检索更轻松。

立即免费搜索

文件翻译

保留排版,准确专业,支持PDF/Word/PPT等文件格式,支持 12+语言互译。

免费翻译文档

深度研究

AI帮你快速写综述,25分钟生成高质量综述,智能提取关键信息,辅助科研写作。

立即免费体验