• 文献检索
  • 文档翻译
  • 深度研究
  • 学术资讯
  • Suppr Zotero 插件Zotero 插件
  • 邀请有礼
  • 套餐&价格
  • 历史记录
应用&插件
Suppr Zotero 插件Zotero 插件浏览器插件Mac 客户端Windows 客户端微信小程序
定价
高级版会员购买积分包购买API积分包
服务
文献检索文档翻译深度研究API 文档MCP 服务
关于我们
关于 Suppr公司介绍联系我们用户协议隐私条款
关注我们

Suppr 超能文献

核心技术专利:CN118964589B侵权必究
粤ICP备2023148730 号-1Suppr @ 2026

文献检索

告别复杂PubMed语法,用中文像聊天一样搜索,搜遍4000万医学文献。AI智能推荐,让科研检索更轻松。

立即免费搜索

文件翻译

保留排版,准确专业,支持PDF/Word/PPT等文件格式,支持 12+语言互译。

免费翻译文档

深度研究

AI帮你快速写综述,25分钟生成高质量综述,智能提取关键信息,辅助科研写作。

立即免费体验

腺相关病毒(AAV)介导的基因导入人骨髓干细胞(hBMSCs)的优化。

Optimization of adeno-associated virus (AAV) gene delivery into human bone marrow stem cells (hBMSCs).

作者信息

Yao Shaomian, Rong Weiqiong, Yuan Yuanying

机构信息

Department of Comparative Biomedical Sciences, School of Veterinary Medicine, Louisiana State University, Baton Rouge, LA, USA.

出版信息

Stem Cell Investig. 2023 Feb 2;10:3. doi: 10.21037/sci-2022-042. eCollection 2023.

DOI:10.21037/sci-2022-042
PMID:36761253
原文链接:https://pmc.ncbi.nlm.nih.gov/articles/PMC9905037/
Abstract

BACKGROUND

Efficiently delivering nucleic acid into mammalian cells is essential to overexpress genes for assessing gene functions. Human bone marrow stem cells (hBMSCs) are the most studied tissue-derived stem cells. Adeno-associated viruses (AAVs) have been used to deliver DNA into hBMSCs for various purposes. Current literature reported that transduction efficiencies of up to 65% could be achieved by AAV gene delivery into hBMSCs. Further improvement of efficiency is needed and possible. This study tested a selection of AAV serotypes for high-efficient DNA delivery into hBMSCs.

METHODS

hBMSCs from different donors were infected with different serotypes of AAVs containing the enhanced green fluorescence protein () reporter gene driven by the CMV promoter. Green fluorescence was monitored in the infected cells at five-day intervals. Cells were collected at designated time points after the infection for reverse-transcription polymerase chain reaction (RT-PCR) and quantitative reverse-transcription polymerase chain reaction (qRT-PCR) to assess eGFP mRNA transcription.

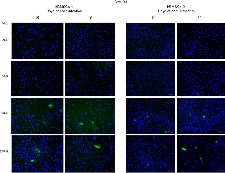
RESULTS

The results indicated that the order of transduction efficiency of the AAV serotypes was AAV2 > AAV2.7m8 > AAV6 > AAV6.2 > AAV1 > AAV-DJ. AAV2 could achieve almost 100% transduction at the multiplicity of infection (MOI) greater than 100K. Over 90% of cells could be transduced at 20K to 50K MOI. About 80% transduction was seen at MOIs of 10K and 15K. RT-PCR analysis showed that eGFP mRNA could be detected from day 5 to day 30 post-AAV infection. The differences in the observed transduction efficiencies of the hBMSCs from different patients indicate donor-to-donor variability, and increased eGFP mRNA was generally seen after day 15 post-AAV2 infection. Maximal eGFP transcription was detected on day 30 post-infection.

CONCLUSIONS

We conclude that AAV2 and AAV2.7m8 at an MOI of 100K or greater can efficiently deliver transgene into hBMSCs with up to near 100% transduction efficiency for sustained expression over one month. However, donor-to-donor variation exists in transduction efficiency and transgene expression, especially at MOIs less than 100K.

摘要

背景

有效地将核酸导入哺乳动物细胞对于过表达基因以评估基因功能至关重要。人骨髓干细胞(hBMSCs)是研究最多的组织来源干细胞。腺相关病毒(AAVs)已被用于将DNA导入hBMSCs以实现各种目的。当前文献报道,通过AAV基因导入hBMSCs可实现高达65%的转导效率。效率的进一步提高是必要且有可能的。本研究测试了一系列AAV血清型用于高效地将DNA导入hBMSCs。

方法

来自不同供体的hBMSCs用不同血清型的携带由CMV启动子驱动的增强绿色荧光蛋白()报告基因的AAVs进行感染。每隔五天监测感染细胞中的绿色荧光。在感染后的指定时间点收集细胞用于逆转录聚合酶链反应(RT-PCR)和定量逆转录聚合酶链反应(qRT-PCR)以评估eGFP mRNA转录。

结果

结果表明AAV血清型的转导效率顺序为AAV2 > AAV2.7m8 > AAV6 > AAV6.2 > AAV1 > AAV-DJ。AAV2在感染复数(MOI)大于100K时可实现近100%的转导。在20K至50K的MOI下,超过90%的细胞可被转导。在10K和15K的MOI下可见约80%的转导。RT-PCR分析表明在AAV感染后第5天至第30天可检测到eGFP mRNA。不同患者的hBMSCs观察到的转导效率差异表明供体间存在变异性,并且在AAV2感染后第15天之后通常可见eGFP mRNA增加。在感染后第30天检测到最大的eGFP转录。

结论

我们得出结论,MOI为100K或更高的AAV2和AAV2.7m8可以有效地将转基因导入hBMSCs,转导效率高达近100%,并能持续表达一个多月。然而,转导效率和转基因表达存在供体间差异,尤其是在MOI小于100K时。

https://cdn.ncbi.nlm.nih.gov/pmc/blobs/d4f0/9905037/89af6ae5926e/sci-10-2022-042-f10.jpg
https://cdn.ncbi.nlm.nih.gov/pmc/blobs/d4f0/9905037/07ef71b42116/sci-10-2022-042-f1.jpg
https://cdn.ncbi.nlm.nih.gov/pmc/blobs/d4f0/9905037/db18435cdfc4/sci-10-2022-042-f2.jpg
https://cdn.ncbi.nlm.nih.gov/pmc/blobs/d4f0/9905037/b9bb0d695e17/sci-10-2022-042-f3.jpg
https://cdn.ncbi.nlm.nih.gov/pmc/blobs/d4f0/9905037/87ec33e8b939/sci-10-2022-042-f4.jpg
https://cdn.ncbi.nlm.nih.gov/pmc/blobs/d4f0/9905037/06a094174e13/sci-10-2022-042-f5.jpg
https://cdn.ncbi.nlm.nih.gov/pmc/blobs/d4f0/9905037/f94543ff7b24/sci-10-2022-042-f6.jpg
https://cdn.ncbi.nlm.nih.gov/pmc/blobs/d4f0/9905037/5cf569dab8ae/sci-10-2022-042-f7.jpg
https://cdn.ncbi.nlm.nih.gov/pmc/blobs/d4f0/9905037/4d7451042ac4/sci-10-2022-042-f8.jpg
https://cdn.ncbi.nlm.nih.gov/pmc/blobs/d4f0/9905037/3aab84f99a5e/sci-10-2022-042-f9.jpg
https://cdn.ncbi.nlm.nih.gov/pmc/blobs/d4f0/9905037/89af6ae5926e/sci-10-2022-042-f10.jpg
https://cdn.ncbi.nlm.nih.gov/pmc/blobs/d4f0/9905037/07ef71b42116/sci-10-2022-042-f1.jpg
https://cdn.ncbi.nlm.nih.gov/pmc/blobs/d4f0/9905037/db18435cdfc4/sci-10-2022-042-f2.jpg
https://cdn.ncbi.nlm.nih.gov/pmc/blobs/d4f0/9905037/b9bb0d695e17/sci-10-2022-042-f3.jpg
https://cdn.ncbi.nlm.nih.gov/pmc/blobs/d4f0/9905037/87ec33e8b939/sci-10-2022-042-f4.jpg
https://cdn.ncbi.nlm.nih.gov/pmc/blobs/d4f0/9905037/06a094174e13/sci-10-2022-042-f5.jpg
https://cdn.ncbi.nlm.nih.gov/pmc/blobs/d4f0/9905037/f94543ff7b24/sci-10-2022-042-f6.jpg
https://cdn.ncbi.nlm.nih.gov/pmc/blobs/d4f0/9905037/5cf569dab8ae/sci-10-2022-042-f7.jpg
https://cdn.ncbi.nlm.nih.gov/pmc/blobs/d4f0/9905037/4d7451042ac4/sci-10-2022-042-f8.jpg
https://cdn.ncbi.nlm.nih.gov/pmc/blobs/d4f0/9905037/3aab84f99a5e/sci-10-2022-042-f9.jpg
https://cdn.ncbi.nlm.nih.gov/pmc/blobs/d4f0/9905037/89af6ae5926e/sci-10-2022-042-f10.jpg

相似文献

1
Optimization of adeno-associated virus (AAV) gene delivery into human bone marrow stem cells (hBMSCs).腺相关病毒(AAV)介导的基因导入人骨髓干细胞(hBMSCs)的优化。
Stem Cell Investig. 2023 Feb 2;10:3. doi: 10.21037/sci-2022-042. eCollection 2023.
2
Evaluation of transduction efficiency in pancreatic beta and alpha cells utilizing various AAV serotypes.利用各种腺相关病毒血清型评估胰腺β细胞和α细胞的转导效率。
Sci Rep. 2025 Jul 1;15(1):20927. doi: 10.1038/s41598-025-05518-8.
3
The Black Book of Psychotropic Dosing and Monitoring.《精神药物剂量与监测黑皮书》
Psychopharmacol Bull. 2024 Jul 8;54(3):8-59.
4
Mechanisms of AAV neutralization by human alpha-defensins.人α-防御素对腺相关病毒的中和机制。
bioRxiv. 2025 Apr 21:2024.09.25.614754. doi: 10.1101/2024.09.25.614754.
5
Laboratory-based molecular test alternatives to RT-PCR for the diagnosis of SARS-CoV-2 infection.基于实验室的分子检测替代 RT-PCR 用于 SARS-CoV-2 感染的诊断。
Cochrane Database Syst Rev. 2024 Oct 14;10(10):CD015618. doi: 10.1002/14651858.CD015618.
6
Immunogenicity and seroefficacy of pneumococcal conjugate vaccines: a systematic review and network meta-analysis.肺炎球菌结合疫苗的免疫原性和血清效力:系统评价和网络荟萃分析。
Health Technol Assess. 2024 Jul;28(34):1-109. doi: 10.3310/YWHA3079.
7
Sertindole for schizophrenia.用于治疗精神分裂症的舍吲哚。
Cochrane Database Syst Rev. 2005 Jul 20;2005(3):CD001715. doi: 10.1002/14651858.CD001715.pub2.
8
Rapid, point-of-care antigen tests for diagnosis of SARS-CoV-2 infection.用于 SARS-CoV-2 感染诊断的快速、即时抗原检测。
Cochrane Database Syst Rev. 2022 Jul 22;7(7):CD013705. doi: 10.1002/14651858.CD013705.pub3.
9
Sexual Harassment and Prevention Training性骚扰与预防培训
10
Characterization of Microbubble Cavitation in Theranostic Ultrasound-mediated Blood-Brain Barrier Opening and Gene Delivery.治疗诊断超声介导的血脑屏障开放和基因递送中微泡空化的表征
bioRxiv. 2025 Jan 21:2025.01.17.633644. doi: 10.1101/2025.01.17.633644.

引用本文的文献

1
Downregulation of Signal Transducer and Activator of Transcription 4 Contributes to Impaired Osteogenic Differentiation of Human Bone Marrow Stem Cells during in vitro Expansion.信号转导子与转录激活子4的下调导致人骨髓干细胞体外扩增过程中成骨分化受损。
Cells Tissues Organs. 2025 Mar 7:1-15. doi: 10.1159/000544952.
2
Delivery of neurotrophin-3 by RVG-Lamp2b-modified mesenchymal stem cell-derived exosomes alleviates facial nerve injury.RVG-Lamp2b 修饰的间充质干细胞来源的外泌体递送神经营养因子-3 减轻面神经损伤。
Hum Cell. 2024 Sep;37(5):1378-1393. doi: 10.1007/s13577-024-01086-7. Epub 2024 Jun 11.
3
Designing molecules: directing stem cell differentiation.

本文引用的文献

1
An Overview of Methods and Tools for Transfection of Eukaryotic Cells .真核细胞转染的方法与工具概述
Front Bioeng Biotechnol. 2021 Jul 20;9:701031. doi: 10.3389/fbioe.2021.701031. eCollection 2021.
2
Limited potential of AAV-mediated gene therapy in transducing human mesenchymal stem cells for bone repair applications.AAV 介导的基因治疗在转导人骨髓间充质干细胞用于骨修复应用中的潜力有限。
Gene Ther. 2021 Dec;28(12):729-739. doi: 10.1038/s41434-020-0182-4. Epub 2020 Aug 17.
3
Non-Viral in Vitro Gene Delivery: It is Now Time to Set the Bar!
设计分子:引导干细胞分化
Front Bioeng Biotechnol. 2024 May 10;12:1396405. doi: 10.3389/fbioe.2024.1396405. eCollection 2024.
4
Possibilities and efficiency of MSC co-transfection for gene therapy.间充质干细胞共转染在基因治疗中的可能性和效率。
Stem Cell Res Ther. 2024 May 23;15(1):150. doi: 10.1186/s13287-024-03757-6.
5
Genetic and Functional Analyses of Patients with Marked Hypo-High-Density Lipoprotein Cholesterolemia.伴有显著低-高密度脂蛋白胆固醇血症患者的遗传和功能分析。
J Atheroscler Thromb. 2024 Sep 1;31(9):1304-1318. doi: 10.5551/jat.64579. Epub 2024 Mar 28.
6
Adenovirus-Based Gene Therapy for Bone Regeneration: A Comparative Analysis of In Vivo and Ex Vivo Gene Delivery.腺病毒载体基因治疗骨再生:体内和体外基因递送的比较分析。
Cells. 2023 Jul 1;12(13):1762. doi: 10.3390/cells12131762.
非病毒体外基因递送:现在是提高标准的时候了!
Pharmaceutics. 2020 Feb 21;12(2):183. doi: 10.3390/pharmaceutics12020183.
4
Mesenchymal Stem Cell Migration and Tissue Repair.间质干细胞迁移与组织修复。
Cells. 2019 Jul 28;8(8):784. doi: 10.3390/cells8080784.
5
Assessment of Adeno-Associated Virus Serotype Tropism in Human Retinal Explants.人视网膜外植体中腺相关病毒血清型嗜性的评估。
Hum Gene Ther. 2018 Apr;29(4):424-436. doi: 10.1089/hum.2017.179. Epub 2018 Feb 23.
6
Adeno-Associated Virus Vectors and Stem Cells: Friends or Foes?腺相关病毒载体与干细胞:是友还是敌?
Hum Gene Ther. 2017 Jun;28(6):450-463. doi: 10.1089/hum.2017.038.
7
In vivo tissue-tropism of adeno-associated viral vectors.腺相关病毒载体的体内组织嗜性
Curr Opin Virol. 2016 Dec;21:75-80. doi: 10.1016/j.coviro.2016.08.003. Epub 2016 Sep 3.
8
Cellular transduction mechanisms of adeno-associated viral vectors.腺相关病毒载体的细胞转导机制。
Curr Opin Virol. 2016 Dec;21:54-60. doi: 10.1016/j.coviro.2016.08.001. Epub 2016 Aug 18.
9
Insight into the mechanisms of enhanced retinal transduction by the engineered AAV2 capsid variant -7m8.深入了解工程化腺相关病毒2型衣壳变体-7m8增强视网膜转导的机制。
Biotechnol Bioeng. 2016 Dec;113(12):2712-2724. doi: 10.1002/bit.26031. Epub 2016 Jun 30.
10
AAV-Mediated Gene Therapy for Research and Therapeutic Purposes.AAV 介导的基因治疗用于研究和治疗目的。
Annu Rev Virol. 2014 Nov;1(1):427-51. doi: 10.1146/annurev-virology-031413-085355.