Department of Experimental Pharmacology, Institute of Rural Health, Jaczewskiego 2, 20-090 Lublin, Poland.
Department of Evolutionary Genetics and Biosystematics, Faculty of Biology, University of Gdansk, WitaStwosza 59, 80-308 Gdansk, Poland.
Nutrients. 2023 Apr 23;15(9):2041. doi: 10.3390/nu15092041.
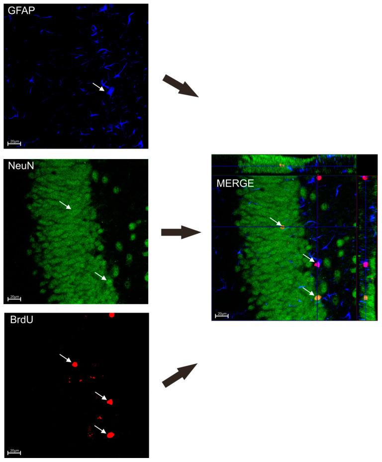
Daily living and functioning under stress can lead to mental health problems such as anxiety or depression. Over the past decades, a number of studies have been conducted to determine the relationship between the central nervous system (CNS), intestinal flora and bidirectional communication along the gut brain axis (GBA) in the maintaining of homeostasis. One of the most important factors regulating GBA functioning in exposure to stress may be a proper diet enriched in the supplementation with pre-, pro-and synbiotics. In the present study, we examined whether a 10-week oral preventive supplementation with natural prebiotics: topinambur powder (TPB) and chicory root inulin (INU) influenced an anxiety, depressive behavior and cognition in mice exposed to the chronic unpredictable mild stress (CUMS). Additionally, a fluoxetine (FLU) has been used as a reference antidepressive drug. Furthermore, we assessed the effect of TPB, INU and FLU administration on neurogenesis in mice exposed to CUMS and finally analyzed fecal microbiota for possible changes after TPB and INU supplementation in CUMS induced mice. Results obtained from the behavioral studies (elevated plaze maze, forced swim and Morris water maze test) indicated, that 10 week supplementation with TPB (250 mg/kg) and INU (66 mg/kg), similarly to FLU (12 mg/kg), significantly mitigated an anxiety and stress as well as protected learning and memory functions in the CUMS induced mice compared to the control stressed group. Additionally, TPB and INU CUMS mice showed significantly higher level of neurogenesis in comparison to control CUMS group. Interestingly, results obtained from the fecal microbiota analysis showed a beneficial effect of TPB and INU supplementation against CUMS-induced intestinal dysbiosis in mice. In conclusion, the obtained results showed that a long-term, preventive supplementation with TPB or INU alleviates the negative effects such as anxiety, cognitive disorders or dysbiosis in mice exposed to chronic unpredictable stress.
日常生活和压力下的功能会导致心理健康问题,如焦虑或抑郁。在过去的几十年中,已经进行了许多研究来确定中枢神经系统(CNS)、肠道菌群和沿着肠脑轴(GBA)的双向通讯之间的关系,以维持体内平衡。在应激暴露中调节 GBA 功能的最重要因素之一可能是富含前体、益生菌和共生体补充剂的适当饮食。在本研究中,我们研究了 10 周口服预防性补充天然前体物:洋蓟粉(TPB)和菊苣根菊粉(INU)是否会影响慢性不可预测轻度应激(CUMS)暴露的小鼠的焦虑、抑郁行为和认知。此外,还使用氟西汀(FLU)作为参考抗抑郁药。此外,我们评估了 TPB、INU 和 FLU 给药对 CUMS 暴露小鼠神经发生的影响,最后分析了 TPB 和 INU 补充后 CUMS 诱导的小鼠粪便微生物群的可能变化。行为研究(高架平台迷宫、强迫游泳和莫里斯水迷宫测试)的结果表明,10 周 TPB(250mg/kg)和 INU(66mg/kg)补充,与 FLU(12mg/kg)相似,显著减轻了 CUMS 诱导的小鼠的焦虑和应激,以及保护了学习和记忆功能。此外,与对照 CUMS 组相比,TPB 和 INU CUMS 小鼠表现出明显更高水平的神经发生。有趣的是,粪便微生物群分析结果显示,TPB 和 INU 补充对 CUMS 诱导的小鼠肠道菌群失调具有有益作用。总之,研究结果表明,长期预防性补充 TPB 或 INU 可减轻慢性不可预测应激暴露的小鼠的负面效应,如焦虑、认知障碍或肠道菌群失调。