Suppr超能文献

挤压对铸态Mg-Zn-Y-Sr合金力学性能、腐蚀行为及体外生物相容性的影响

Effect of Extrusion on Mechanical Property, Corrosion Behavior, and In Vitro Biocompatibility of the As-Cast Mg-Zn-Y-Sr Alloy.

作者信息

Huang Tao, Yang Lijing, Xu Chunxiang, Xu Cheng, Zhang Qingke, Zhang Jinshan, Song Zhenlun

机构信息

Key Laboratory of Marine Materials and Related Technologies, Zhejiang Key Laboratory of Marine Materials and Protective Technologies, Ningbo Institute of Materials Technology and Engineering, Chinese Academy of Sciences, Ningbo 315201, China.

College of Materials Science and Engineering, Taiyuan University of Technology, No. 79 Yingze West Street, Taiyuan 030024, China.

出版信息

Materials (Basel). 2024 Mar 11;17(6):1297. doi: 10.3390/ma17061297.

Abstract

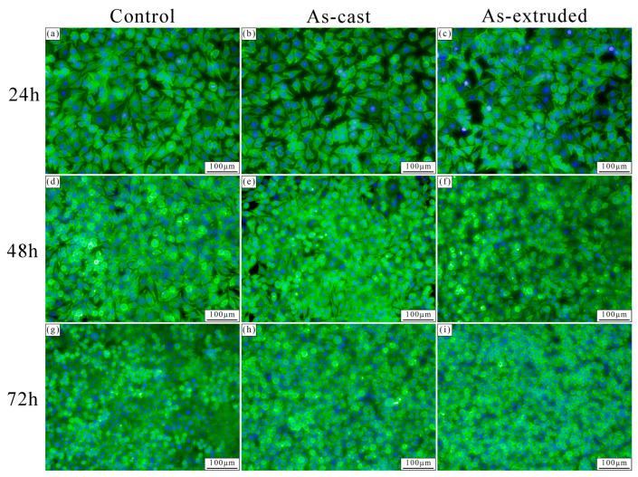
The effect of extrusion on the microstructure, mechanical property, corrosion behavior, and in vitro biocompatibility of as-cast Mg-1.5Zn-1.2Y-0.1Sr (wt.%) alloy was investigated via tensile tests, electrochemical methods, immersion tests, methylthiazolyl diphenyltetrazolium bromide (MTT), and analytical techniques. Results showed that the as-cast and as-extruded Mg-1.5Zn-1.2Y-0.1Sr alloys comprised an α-Mg matrix and MgYZn phase (W-phase). In the as-cast alloy, the W-phase was mainly distributed at the grain boundaries, with a small amount of W-phase in the grains. After hot extrusion, the W-phase was broken down into small particles that were dispersed in the alloy, and the grains were refined considerably. The as-extruded alloy exhibited appropriate mechanical properties that were attributed to refinement strengthening, dispersion strengthening, dislocation strengthening, and precipitation strengthening. The as-cast and as-extruded alloys exhibited galvanic corrosion between the W-phase and α-Mg matrix as the main corrosion mechanism. The coarse W-phase directly caused the poor corrosion resistance of the as-cast alloy. The as-extruded alloy obtained via hydrogen evolution and mass loss had corrosion rates of less than 0.5 mm/year. MTT, high-content screening (HCS) analysis, and cell adhesion tests revealed that the as-extruded alloy can improve L929 cell viability and has great potential in the field of biomedical biodegradable implant materials.

摘要

通过拉伸试验、电化学方法、浸泡试验、甲基噻唑基二苯基四氮唑溴盐(MTT)法以及分析技术,研究了挤压对铸态Mg-1.5Zn-1.2Y-0.1Sr(重量百分比)合金的微观结构、力学性能、腐蚀行为及体外生物相容性的影响。结果表明,铸态和挤压态的Mg-1.5Zn-1.2Y-0.1Sr合金均由α-Mg基体和MgYZn相(W相)组成。在铸态合金中,W相主要分布在晶界处,晶内有少量W相。热挤压后,W相分解为细小颗粒并弥散分布于合金中,晶粒显著细化。挤压态合金表现出适当的力学性能,这归因于细化强化、弥散强化、位错强化和析出强化。铸态和挤压态合金均表现出W相和α-Mg基体之间的电偶腐蚀作为主要腐蚀机制。粗大的W相直接导致铸态合金耐蚀性较差。通过析氢和质量损失得到的挤压态合金腐蚀速率小于0.5毫米/年。MTT法、高内涵筛选(HCS)分析和细胞黏附试验表明,挤压态合金可提高L929细胞活力,在生物医学可降解植入材料领域具有巨大潜力。

https://cdn.ncbi.nlm.nih.gov/pmc/blobs/c449/10971812/5e28b53cd0cd/materials-17-01297-g001.jpg

文献AI研究员

20分钟写一篇综述,助力文献阅读效率提升50倍。

立即体验

用中文搜PubMed

大模型驱动的PubMed中文搜索引擎

马上搜索

文档翻译

学术文献翻译模型,支持多种主流文档格式。

立即体验