Suppr超能文献

SEC24D缺失通过使ATF6/TGF-β/Runx2调控环失活诱导成骨分化缺陷。

SEC24D depletion induces osteogenic differentiation deficiency by inactivating the ATF6/TGF-β/Runx2 regulatory loop.

作者信息

Zhang Jing, Yang Kai, Chen Wen-Qi, Sun Dong-Lan, Hu Hua-Ying, Li Qian, Yan You-Sheng, Li Ya-Zhou, Yin Cheng-Hong, Guo Qing

机构信息

Prenatal Diagnosis Center, Shijiazhuang Obstetrics and Gynecology Hospital; Hebei Key Laboratory of Maternal and Fetal Medicine; Shijiazhuang Key Laboratory of Reproductive Health, Shijiazhuang, Hebei, China.

Prenatal Diagnosis Center, Beijing Obstetrics and Gynecology Hospital, Capital Medical University, Beijing, China.

出版信息

Commun Biol. 2025 May 15;8(1):758. doi: 10.1038/s42003-025-08175-9.

Abstract

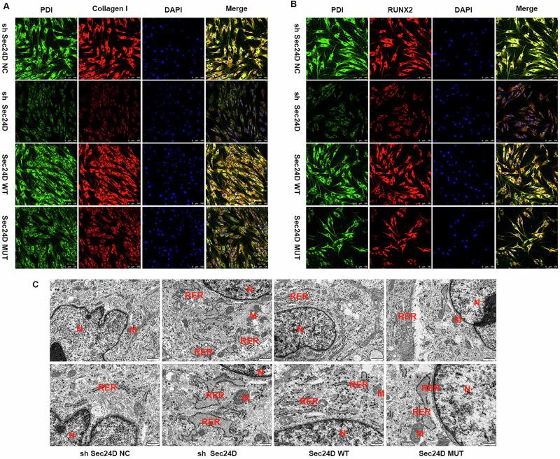
Protein coat complexes strongly influence intracellular cargo trafficking. Coatopathies represent a wide range of genetic conditions caused by mutations in protein coat components. The SEC24D gene, which encodes a Sec24 isoform that constitutes a cargo-specific capturer in the COPII coat, is responsible for a rare type of autosomal recessive osteogenesis imperfecta. We report an OI patient. Clinical and imaging findings suggested that the patient had OI. Genetic detection by whole-exome sequencing (WES) identified a compound heterozygous SEC24D variants, including c.2609_2610delGA (p. R870fs*10) and c.938G>A (p. R313H). In silico analysis suggested that the missense R313H mutation most likely affects protein stability and secondary structure. In vitro studies showed that knockdown or mutation of SEC24D affected the osteogenic differentiation of mesenchymal stem cells (MSCs) and inducted ER stress. Transcriptomic sequencing suggested that the TGF-β pathway mediated the destructive effect of SEC24D depletion on osteogenic differentiation. Further experiments confirmed that ATF6 participated in regulating the TGF-β pathway and osteogenic biomarkers by SEC24D. This study identified a SEC24D variation causing OI, which expanded the mutation spectrum of this gene. Further studies on the mechanism of action showed that SEC24D defects may induce osteogenic differentiation deficiency by inactivating the ATF6/TGF-β/Runx2 regulatory loop.

摘要

蛋白质衣被复合物对细胞内货物运输有强烈影响。衣被蛋白病代表了由蛋白质衣被成分突变引起的多种遗传病症。SEC24D基因编码一种Sec24异构体,它在COPII衣被中构成货物特异性捕获器,该基因与一种罕见的常染色体隐性成骨不全症有关。我们报告了一名成骨不全症患者。临床和影像学检查结果表明该患者患有成骨不全症。通过全外显子组测序(WES)进行的基因检测发现了复合杂合的SEC24D变异,包括c.2609_2610delGA(p.R870fs*10)和c.938G>A(p.R313H)。计算机分析表明,错义R313H突变很可能影响蛋白质稳定性和二级结构。体外研究表明,SEC24D的敲低或突变会影响间充质干细胞(MSC)的成骨分化并引发内质网应激。转录组测序表明,TGF-β途径介导了SEC24D缺失对成骨分化的破坏作用。进一步的实验证实,ATF6参与了SEC24D对TGF-β途径和成骨生物标志物的调节。本研究鉴定出一种导致成骨不全症的SEC24D变异,这扩展了该基因的突变谱。对作用机制的进一步研究表明,SEC24D缺陷可能通过使ATF6/TGF-β/Runx2调节环失活而诱导成骨分化缺陷。

https://cdn.ncbi.nlm.nih.gov/pmc/blobs/28ff/12081754/e689dc391b5f/42003_2025_8175_Fig1_HTML.jpg

文献检索

告别复杂PubMed语法,用中文像聊天一样搜索,搜遍4000万医学文献。AI智能推荐,让科研检索更轻松。

立即免费搜索

文件翻译

保留排版,准确专业,支持PDF/Word/PPT等文件格式,支持 12+语言互译。

免费翻译文档

深度研究

AI帮你快速写综述,25分钟生成高质量综述,智能提取关键信息,辅助科研写作。

立即免费体验