• 文献检索
  • 文档翻译
  • 深度研究
  • 学术资讯
  • Suppr Zotero 插件Zotero 插件
  • 邀请有礼
  • 套餐&价格
  • 历史记录
应用&插件
Suppr Zotero 插件Zotero 插件浏览器插件Mac 客户端Windows 客户端微信小程序
定价
高级版会员购买积分包购买API积分包
服务
文献检索文档翻译深度研究API 文档MCP 服务
关于我们
关于 Suppr公司介绍联系我们用户协议隐私条款
关注我们

Suppr 超能文献

核心技术专利:CN118964589B侵权必究
粤ICP备2023148730 号-1Suppr @ 2026

文献检索

告别复杂PubMed语法,用中文像聊天一样搜索,搜遍4000万医学文献。AI智能推荐,让科研检索更轻松。

立即免费搜索

文件翻译

保留排版,准确专业,支持PDF/Word/PPT等文件格式,支持 12+语言互译。

免费翻译文档

深度研究

AI帮你快速写综述,25分钟生成高质量综述,智能提取关键信息,辅助科研写作。

立即免费体验

异丙酚对2型糖尿病大鼠缺血再灌注心肌损伤时LC3II及mTOR/p-mTOR表达的影响

Effects of propofol on LC3II and mTOR/p-mTOR expression during ischemia-reperfusion myocardium injury in rats with type 2 diabetes mellitus.

作者信息

Wang Ying, Zhang Kecheng, Qi Xiuru, Yang Guang, Wang Hongjie, Zhang Zhe, Yang Baofeng

机构信息

Department of Anesthesiology, Affiliated Hospital of Hebei University, Baoding, Hebei 071000, P.R. China.

Department of Medicine, Hebei University, Baoding, Hebei 071000, P.R. China.

出版信息

Exp Ther Med. 2020 Apr;19(4):2441-2448. doi: 10.3892/etm.2020.8499. Epub 2020 Feb 7.

DOI:10.3892/etm.2020.8499
PMID:32256720
原文链接:https://pmc.ncbi.nlm.nih.gov/articles/PMC7098214/
Abstract

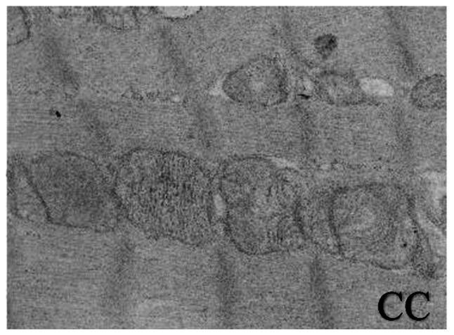
To investigate the effects of propofol on myocardial ischemia reperfusion in rats with type 2 diabetes, male adult rats were divided into five groups: Sham-operation (CC), ischemia-reperfusion (CI), low-dose propofol (LP), moderate-dose propofol (MP) and high-dose propofol (HP). The LP, MP and HP groups were administered with 6, 12 and 24 mg/kg/h propofol, respectively, prior to occlusion. Heart rate (HR), left ventricular systolic pressure (LVSP) and the rate (dp/dt max) of left ventricular pressure rise in early systole (±dp/dt max) were recorded. The role of autophagy was also studied by measuring the levels of superoxide dismutase (SOD), malondialdehyde (MDA), autophagy marker protein LC3II, mammalian target of rapamycin (mTOR)/phosphorylate (p)-mTOR and cardiac troponin T (cTnT). The myocardial morphological features were assessed using light and electron microscopy. The present results demonstrated that the HR, LVSP, +dp/dt and -dp/dt levels in the propofol groups (LP, MP and HP) were significantly increased (P<0.05) when compared with the CI group. The myocardial cells in the MP group showed mild edematous changes and partially dissolved mitochondrial cristae and membrane rupture. SOD, cTnT and MDA levels were significantly decreased (P<0.05), mTOR expression decreased significantly (P<0.05) and p-mTOR expression increased significantly in the MP group (P<0.05). The present study demonstrated the protective effects of propofol in T2DM rats exhibiting MIRI, with an optimal protective effect at an infusion rate of 12 mg/kg/h. Additionally, the results revealed that propofol led to significant reductions in LC3II and mTOR serum levels and the inhibition of autophagy in myocardial cells.

摘要

为研究丙泊酚对2型糖尿病大鼠心肌缺血再灌注的影响,将成年雄性大鼠分为五组:假手术组(CC)、缺血再灌注组(CI)、低剂量丙泊酚组(LP)、中剂量丙泊酚组(MP)和高剂量丙泊酚组(HP)。在阻断前,LP、MP和HP组分别以6、12和24mg/kg/h的速度输注丙泊酚。记录心率(HR)、左心室收缩压(LVSP)以及左心室压力上升速率(±dp/dt max)。通过检测超氧化物歧化酶(SOD)、丙二醛(MDA)、自噬标记蛋白LC3II、雷帕霉素靶蛋白(mTOR)/磷酸化(p)-mTOR和心肌肌钙蛋白T(cTnT)水平来研究自噬的作用。采用光镜和电镜评估心肌形态学特征。目前的结果表明,与CI组相比,丙泊酚组(LP、MP和HP)的HR、LVSP、+dp/dt和-dp/dt水平显著升高(P<0.05)。MP组心肌细胞出现轻度水肿改变,线粒体嵴部分溶解,膜破裂。MP组SOD、cTnT和MDA水平显著降低(P<0.05),mTOR表达显著降低(P<0.05),p-mTOR表达显著升高(P<0.05)。本研究证明了丙泊酚对2型糖尿病合并心肌缺血再灌注损伤大鼠具有保护作用,输注速率为12mg/kg/h时保护效果最佳。此外,结果显示丙泊酚可显著降低LC3II和mTOR血清水平,并抑制心肌细胞自噬。

https://cdn.ncbi.nlm.nih.gov/pmc/blobs/bcab/7098214/f666bd393c4e/etm-19-04-2441-g09.jpg
https://cdn.ncbi.nlm.nih.gov/pmc/blobs/bcab/7098214/05a7816c7488/etm-19-04-2441-g00.jpg
https://cdn.ncbi.nlm.nih.gov/pmc/blobs/bcab/7098214/c8c290987833/etm-19-04-2441-g01.jpg
https://cdn.ncbi.nlm.nih.gov/pmc/blobs/bcab/7098214/f9c6791c88f6/etm-19-04-2441-g02.jpg
https://cdn.ncbi.nlm.nih.gov/pmc/blobs/bcab/7098214/f6b7edac0e7d/etm-19-04-2441-g03.jpg
https://cdn.ncbi.nlm.nih.gov/pmc/blobs/bcab/7098214/aee5b0e50f41/etm-19-04-2441-g04.jpg
https://cdn.ncbi.nlm.nih.gov/pmc/blobs/bcab/7098214/8259d088c908/etm-19-04-2441-g05.jpg
https://cdn.ncbi.nlm.nih.gov/pmc/blobs/bcab/7098214/4982582382a7/etm-19-04-2441-g06.jpg
https://cdn.ncbi.nlm.nih.gov/pmc/blobs/bcab/7098214/e6bdf0093115/etm-19-04-2441-g07.jpg
https://cdn.ncbi.nlm.nih.gov/pmc/blobs/bcab/7098214/877383d7e212/etm-19-04-2441-g08.jpg
https://cdn.ncbi.nlm.nih.gov/pmc/blobs/bcab/7098214/f666bd393c4e/etm-19-04-2441-g09.jpg
https://cdn.ncbi.nlm.nih.gov/pmc/blobs/bcab/7098214/05a7816c7488/etm-19-04-2441-g00.jpg
https://cdn.ncbi.nlm.nih.gov/pmc/blobs/bcab/7098214/c8c290987833/etm-19-04-2441-g01.jpg
https://cdn.ncbi.nlm.nih.gov/pmc/blobs/bcab/7098214/f9c6791c88f6/etm-19-04-2441-g02.jpg
https://cdn.ncbi.nlm.nih.gov/pmc/blobs/bcab/7098214/f6b7edac0e7d/etm-19-04-2441-g03.jpg
https://cdn.ncbi.nlm.nih.gov/pmc/blobs/bcab/7098214/aee5b0e50f41/etm-19-04-2441-g04.jpg
https://cdn.ncbi.nlm.nih.gov/pmc/blobs/bcab/7098214/8259d088c908/etm-19-04-2441-g05.jpg
https://cdn.ncbi.nlm.nih.gov/pmc/blobs/bcab/7098214/4982582382a7/etm-19-04-2441-g06.jpg
https://cdn.ncbi.nlm.nih.gov/pmc/blobs/bcab/7098214/e6bdf0093115/etm-19-04-2441-g07.jpg
https://cdn.ncbi.nlm.nih.gov/pmc/blobs/bcab/7098214/877383d7e212/etm-19-04-2441-g08.jpg
https://cdn.ncbi.nlm.nih.gov/pmc/blobs/bcab/7098214/f666bd393c4e/etm-19-04-2441-g09.jpg

相似文献

1
Effects of propofol on LC3II and mTOR/p-mTOR expression during ischemia-reperfusion myocardium injury in rats with type 2 diabetes mellitus.异丙酚对2型糖尿病大鼠缺血再灌注心肌损伤时LC3II及mTOR/p-mTOR表达的影响
Exp Ther Med. 2020 Apr;19(4):2441-2448. doi: 10.3892/etm.2020.8499. Epub 2020 Feb 7.
2
Effects of propofol on myocardial ischemia-reperfusion injury in rats with type-2 diabetes mellitus.丙泊酚对2型糖尿病大鼠心肌缺血再灌注损伤的影响。
Biomed Rep. 2017 Jan;6(1):69-74. doi: 10.3892/br.2016.805. Epub 2016 Nov 9.
3
[Cromolyn sodium ameliorates rat left cardiac function during intestinal ischemia-reperfusion].[色甘酸钠改善大鼠肠缺血再灌注期间的左心功能]
Nan Fang Yi Ke Da Xue Xue Bao. 2007 May;27(5):650-3.
4
[Effects of hydrogen-rich saline on Akt/GSK3β signaling pathways and cardiac function during myocardial ischemia-reperfusion in rats].富氢盐水对大鼠心肌缺血再灌注时Akt/GSK3β信号通路及心功能的影响
Zhonghua Yi Xue Za Zhi. 2015 May 19;95(19):1483-7.
5
[Protective effect against myocardial ischemia reperfusion injuries induced by hyperoside preconditioning and its relationship with PI3K/Akt signaling pathway in rats].[金丝桃苷预处理对大鼠心肌缺血再灌注损伤的保护作用及其与PI3K/Akt信号通路的关系]
Zhongguo Zhong Yao Za Zhi. 2015 Jan;40(1):118-23.
6
Effect and mechanism of propofol on myocardial ischemia reperfusion injury in type 2 diabetic rats.丙泊酚对 2 型糖尿病大鼠心肌缺血再灌注损伤的作用及机制。
Microvasc Res. 2013 Nov;90:162-8. doi: 10.1016/j.mvr.2013.08.002. Epub 2013 Aug 26.
7
Activation of the mammalian target of rapamycin signaling pathway underlies a novel inhibitory role of ring finger protein 182 in ventricular remodeling after myocardial ischemia-reperfusion injury.雷帕霉素哺乳动物靶标信号通路的激活是环指蛋白182在心肌缺血再灌注损伤后心室重构中发挥新型抑制作用的基础。
J Cell Biochem. 2019 May;120(5):7635-7648. doi: 10.1002/jcb.28038. Epub 2018 Nov 18.
8
[Cardioprotective effects of sodium ferulate mediated by nitric oxide on ischemia-reperfusion injured myocardium: experiment with isolated rat hearts].阿魏酸钠通过一氧化氮介导对缺血再灌注损伤心肌的心脏保护作用:大鼠离体心脏实验
Zhonghua Yi Xue Za Zhi. 2006 Apr 11;86(14):987-91.
9
[Effects of propofol on cardiomyocytes apoptosis and its mechanism after ischemia/reperfusion injury in isolated rat hearts].[异丙酚对离体大鼠心脏缺血/再灌注损伤后心肌细胞凋亡的影响及其机制]
Zhongguo Ying Yong Sheng Li Xue Za Zhi. 2008 Feb;24(1):56-61.
10
[The myocardium protective effects of erythropoietin (EPO) in a rat model of asphyxia-induced cardiac arrest/cardiopulmonary resuscitation (CPR)].[促红细胞生成素(EPO)对窒息性心脏骤停/心肺复苏(CPR)大鼠模型的心肌保护作用]
Zhongguo Wei Zhong Bing Ji Jiu Yi Xue. 2011 Oct;23(10):608-12.

引用本文的文献

1
A bibliometric review and visualization of research on myocardial ischemia/reperfusion injury in patients with diabetes mellitus from 2004 to 2024.2004年至2024年糖尿病患者心肌缺血/再灌注损伤研究的文献计量学综述与可视化分析
Medicine (Baltimore). 2025 May 30;104(22):e42707. doi: 10.1097/MD.0000000000042707.
2
Mechanisms and Therapeutic Strategies for Myocardial Ischemia-Reperfusion Injury in Diabetic States.糖尿病状态下心肌缺血再灌注损伤的机制及治疗策略
ACS Pharmacol Transl Sci. 2024 Nov 1;7(12):3691-3717. doi: 10.1021/acsptsci.4c00272. eCollection 2024 Dec 13.
3
Propofol and salvianolic acid A synergistically attenuated cardiac ischemia-reperfusion injury in diabetic mice via modulating the CD36/AMPK pathway.

本文引用的文献

1
Overexpression of miR-638 attenuated the effects of hypoxia/reoxygenation treatment on cell viability, cell apoptosis and autophagy by targeting ATG5 in the human cardiomyocytes.miR-638 的过表达通过靶向 ATG5 减弱了低氧/复氧处理对人心肌细胞活力、细胞凋亡和自噬的影响。
Eur Rev Med Pharmacol Sci. 2018 Dec;22(23):8462-8471. doi: 10.26355/eurrev_201812_16546.
2
Role of autophagy and its signaling pathways in ischemia/reperfusion injury.自噬及其信号通路在缺血/再灌注损伤中的作用。
Am J Transl Res. 2017 Oct 15;9(10):4470-4480. eCollection 2017.
3
The prognostic value of high sensitivity cardiac troponin T in patients with congenital heart disease.
丙泊酚和丹酚酸A通过调节CD36/AMPK途径协同减轻糖尿病小鼠的心脏缺血再灌注损伤。
Burns Trauma. 2024 Apr 9;12:tkad055. doi: 10.1093/burnst/tkad055. eCollection 2024.
4
MiR-483-5p downregulation alleviates ox-LDL induced endothelial cell injury in atherosclerosis.miR-483-5p 的下调缓解了 ox-LDL 诱导的动脉粥样硬化内皮细胞损伤。
BMC Cardiovasc Disord. 2023 Oct 27;23(1):521. doi: 10.1186/s12872-023-03496-1.
5
Mild hypothermia combined with dexmedetomidine reduced brain, lung, and kidney damage in experimental acute focal ischemic stroke.轻度低温联合右美托咪定可减轻实验性急性局灶性缺血性卒中所致的脑、肺和肾损伤。
Intensive Care Med Exp. 2022 Dec 19;10(1):53. doi: 10.1186/s40635-022-00481-4.
6
Tai Chi Program to Improve Glucose Control and Quality of Life for the Elderly With Type 2 Diabetes: A Meta-analysis.太极拳项目改善 2 型糖尿病老年患者的血糖控制和生活质量:一项荟萃分析。
Inquiry. 2022 Jan-Dec;59:469580211067934. doi: 10.1177/00469580211067934.
7
Autophagy-targeted therapy to modulate age-related diseases: Success, pitfalls, and new directions.自噬靶向治疗调节与年龄相关的疾病:成功、陷阱与新方向。
Curr Res Pharmacol Drug Discov. 2021 Jun 1;2:100033. doi: 10.1016/j.crphar.2021.100033. eCollection 2021.
8
Effects of dexmedetomide, propofol and remifentanil on perioperative inflammatory response and lung function during lung cancer surgery.右美托咪定、丙泊酚和瑞芬太尼对肺癌手术围手术期炎症反应及肺功能的影响。
Am J Transl Res. 2021 Apr 15;13(4):2537-2545. eCollection 2021.
9
6-Gingerol relieves myocardial ischaemia/reperfusion injury by regulating lncRNA H19/miR-143/ATG7 signaling axis-mediated autophagy.6-姜酚通过调节 lncRNA H19/miR-143/ATG7 信号轴介导的自噬缓解心肌缺血/再灌注损伤。
Lab Invest. 2021 Jul;101(7):865-877. doi: 10.1038/s41374-021-00575-9. Epub 2021 Mar 23.
高敏心肌肌钙蛋白T在先天性心脏病患者中的预后价值。
J Cardiol. 2018 Apr;71(4):389-393. doi: 10.1016/j.jjcc.2017.09.012. Epub 2017 Nov 3.
4
Does Metformin Modulate Endoplasmic Reticulum Stress and Autophagy in Type 2 Diabetic Peripheral Blood Mononuclear Cells?二甲双胍是否调节 2 型糖尿病患者外周血单个核细胞内质网应激和自噬?
Antioxid Redox Signal. 2018 Jun 10;28(17):1562-1569. doi: 10.1089/ars.2017.7409. Epub 2017 Nov 28.
5
Effect of treadmill exercise on skeletal muscle autophagy in rats with obesity induced by a high-fat diet.跑步机运动对高脂饮食诱导的肥胖大鼠骨骼肌自噬的影响。
J Exerc Nutrition Biochem. 2017 Sep 30;21(3):26-34. doi: 10.20463/jenb.2017.0013.
6
Hydrogen Gas Attenuates Myocardial Ischemia Reperfusion Injury Independent of Postconditioning in Rats by Attenuating Endoplasmic Reticulum Stress-Induced Autophagy.氢气通过减轻内质网应激诱导的自噬减轻大鼠心肌缺血再灌注损伤,且与后适应无关。
Cell Physiol Biochem. 2017;43(4):1503-1514. doi: 10.1159/000481974. Epub 2017 Oct 16.
7
The PI3K/Akt/mTOR pathway is involved in CVB3-induced autophagy of HeLa cells.PI3K/Akt/mTOR信号通路参与柯萨奇病毒B3诱导的HeLa细胞自噬。
Int J Mol Med. 2017 Jul;40(1):182-192. doi: 10.3892/ijmm.2017.3008. Epub 2017 May 31.
8
Relationship between diabetes and ischaemic injury among patients with revascularized ST-elevation myocardial infarction.经皮冠状动脉介入治疗的 ST 段抬高型心肌梗死患者中糖尿病与缺血性损伤的关系。
Diabetes Obes Metab. 2017 Dec;19(12):1706-1713. doi: 10.1111/dom.13002. Epub 2017 Jul 25.
9
Autophagy plays beneficial effect on diabetic encephalopathy in type 2 diabetes: studies in vivo and in vitro.自噬对2型糖尿病中的糖尿病性脑病具有有益作用:体内和体外研究
Neuro Endocrinol Lett. 2017 Feb;38(1):27-37.
10
Effect of Elderberry (Sambucus nigra L.) Extract Supplementation in STZ-Induced Diabetic Rats Fed with a High-Fat Diet.接骨木(黑接骨木)提取物对高脂饮食喂养的链脲佐菌素诱导糖尿病大鼠的影响。
Int J Mol Sci. 2016 Dec 22;18(1):13. doi: 10.3390/ijms18010013.