Suppr超能文献

显著的时空色模式。

Salience of spatiochromatic patterns.

机构信息

School of Psychology, University of Aberdeen, Aberdeen, UK.

Department of Psychology, School of Philosophy, Psychology and Language Sciences, University of Edinburgh, Edinburgh, UK.

出版信息

J Vis. 2021 Apr 1;21(4):7. doi: 10.1167/jov.21.4.7.

Abstract

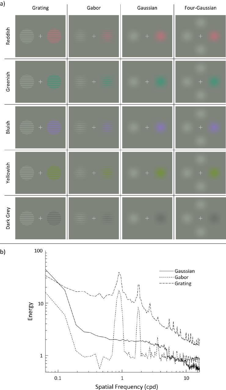
We investigated the dependence of perceived contrast on cone-opponent stimulus content and its spatial distribution. Participants matched a comparison patch to a light gray standard of fixed contrast. The first experiment determined the point of iso-salience for gratings, Gabors and Gaussians along cardinal directions in cone-opponent color space for two-alternative forced choice (2AFC) and adjustment tasks. No difference was found between adjustment and 2AFC tasks, meaning that adjustment tasks provide a quick and robust way to measure perceived contrast, at least for relatively large suprathreshold stimuli. In line with the differences in contrast energy between Gaussians, Gabors, and gratings, Gaussians required less contrast to achieve equal perceived salience with a standard irrespective of color. More surprisingly, bluish Gaussians were found to have higher salience than yellowish Gaussians at equal levels of contrast. Although perceived contrast of grating and Gabor patterns likely depends on spatial frequency channels that at 1 cycle-per-degree are not too dissimilarly tuned for color and luminance, for Gaussians the contribution of single-opponent neurons would be greater for color than for luminance. In a follow-up experiment, we found that the bluish/yellowish asymmetry decreased as we reduced the proportion of the lowpass non-flat contrast distribution in the stimulus, with minimal asymmetry for the stimulus with a flat contrast distribution (i.e., uniform patch). Combined, this means that differential engagement of spatial frequency channels, single-opponent and double-opponent neurons impacts on perceived contrast of chromatic suprathreshold stimuli. Perceived contrast thus provides a window into neural computations enacted by low-level cone-opponent mechanisms.

摘要

我们研究了感知对比度对锥体对手刺激内容及其空间分布的依赖性。参与者将比较补丁与固定对比度的浅灰色标准进行匹配。第一项实验确定了沿锥对手颜色空间的主要方向的光栅、高博和高斯的等可见度点,用于二选一强制选择(2AFC)和调整任务。调整任务和 2AFC 任务之间没有发现差异,这意味着调整任务至少对于相对较大的超阈值刺激,提供了一种快速而稳健的方法来测量感知对比度。符合高斯、高博和光栅之间对比度能量的差异,高斯需要较少的对比度,无论颜色如何,都能与标准达到相等的感知显着性。更令人惊讶的是,在相等的对比度水平下,蓝色高斯比黄色高斯具有更高的显着性。尽管光栅和高博模式的感知对比度可能取决于空间频率通道,而在 1 个周期/度下,这些通道对于颜色和亮度的调谐不太相似,但对于高斯,单对手神经元的贡献对于颜色而言,比对于亮度更大。在后续实验中,我们发现随着我们降低刺激中低通非平面对比度分布的比例,蓝色/黄色不对称性减小,而具有平面对比度分布的刺激(即均匀补丁)的不对称性最小。综合起来,这意味着空间频率通道、单对手和双对手神经元的差异参与会影响色觉超阈值刺激的感知对比度。因此,感知对比度提供了一个了解低水平锥体对手机制所执行的神经计算的窗口。

https://cdn.ncbi.nlm.nih.gov/pmc/blobs/6e7a/8088232/14f502c7e768/jovi-21-4-7-f001.jpg

文献检索

告别复杂PubMed语法,用中文像聊天一样搜索,搜遍4000万医学文献。AI智能推荐,让科研检索更轻松。

立即免费搜索

文件翻译

保留排版,准确专业,支持PDF/Word/PPT等文件格式,支持 12+语言互译。

免费翻译文档

深度研究

AI帮你快速写综述,25分钟生成高质量综述,智能提取关键信息,辅助科研写作。

立即免费体验