Suppr超能文献

亚种。候选疫苗株在RAW 264.7小鼠巨噬细胞中具有促凋亡作用。

subsp. Candidate Vaccine Strains Are Pro-apoptotic in RAW 264.7 Murine Macrophages.

作者信息

Barletta Raul G, Bannantine John P, Stabel Judith R, Muthukrishnan Ezhumalai, Anderson Dirk K, Dutta Enakshy, Manthena Vamsi, Hanafy Mostafa, Zinniel Denise K

机构信息

School of Veterinary Medicine and Biomedical Sciences, University of Nebraska, Lincoln, NE 68583, USA.

United States Department of Agriculture-Agricultural Research Service, National Animal Disease Center, Ames, IA 50010, USA.

出版信息

Vaccines (Basel). 2023 Jun 10;11(6):1085. doi: 10.3390/vaccines11061085.

Abstract

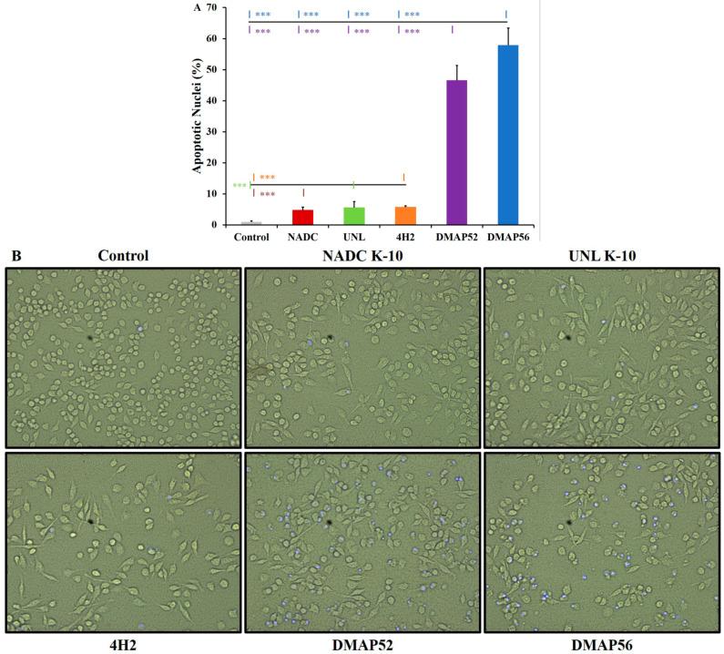
subsp. (MAP) is the etiological agent of Johne's disease, a severe gastroenteritis of ruminants. This study developed a model cell culture system to rapidly screen MAP mutants with vaccine potential for apoptosis. Two wild-type strains, a transposon mutant, and two deletion mutant MAP strains (MOI of 10 with 1.2 × 10 CFU) were tested in murine RAW 264.7 macrophages to determine if they induce apoptosis and/or necrosis. Both deletion mutants were previously shown to be attenuated and immunogenic in primary bovine macrophages. All strains had similar growth rates, but cell morphology indicated that both deletion mutants were elongated with cell wall bulging. Cell death kinetics were followed by a real-time cellular assay to measure luminescence (apoptosis) and fluorescence (necrosis). A 6 h infection period was the appropriate time to assess apoptosis that was followed by secondary necrosis. Apoptosis was also quantified via DAPI-stained nuclear morphology and validated via flow cytometry. The combined analysis confirmed the hypothesis that candidate vaccine deletion mutants are pro-apoptotic in RAW 264.7 cells. In conclusion, the increased apoptosis seen in the deletion mutants correlates with the attenuated phenotype and immunogenicity observed in bovine macrophages, a property associated with good vaccine candidates.

摘要

亚种(MAP)是反刍动物严重肠胃炎——副结核的病原体。本研究开发了一种细胞培养模型系统,用于快速筛选具有凋亡疫苗潜力的MAP突变体。在小鼠RAW 264.7巨噬细胞中测试了两株野生型菌株、一株转座子突变体和两株缺失突变MAP菌株(感染复数为10,含1.2×10 CFU),以确定它们是否诱导凋亡和/或坏死。先前已证明这两株缺失突变体在原代牛巨噬细胞中减毒且具有免疫原性。所有菌株生长速率相似,但细胞形态表明两株缺失突变体均伸长且细胞壁膨出。通过实时细胞分析跟踪细胞死亡动力学,以测量发光(凋亡)和荧光(坏死)。6小时的感染期是评估凋亡的合适时间,随后会发生继发性坏死。还通过DAPI染色的核形态对凋亡进行定量,并通过流式细胞术进行验证。综合分析证实了候选疫苗缺失突变体在RAW 264.7细胞中促凋亡的假设。总之,缺失突变体中观察到的凋亡增加与在牛巨噬细胞中观察到的减毒表型和免疫原性相关,这一特性与优良的候选疫苗相关。

https://cdn.ncbi.nlm.nih.gov/pmc/blobs/0479/10305633/237a4f20d0e8/vaccines-11-01085-g001.jpg

文献检索

告别复杂PubMed语法,用中文像聊天一样搜索,搜遍4000万医学文献。AI智能推荐,让科研检索更轻松。

立即免费搜索

文件翻译

保留排版,准确专业,支持PDF/Word/PPT等文件格式,支持 12+语言互译。

免费翻译文档

深度研究

AI帮你快速写综述,25分钟生成高质量综述,智能提取关键信息,辅助科研写作。

立即免费体验