• 文献检索
  • 文档翻译
  • 深度研究
  • 学术资讯
  • Suppr Zotero 插件Zotero 插件
  • 邀请有礼
  • 套餐&价格
  • 历史记录
应用&插件
Suppr Zotero 插件Zotero 插件浏览器插件Mac 客户端Windows 客户端微信小程序
定价
高级版会员购买积分包购买API积分包
服务
文献检索文档翻译深度研究API 文档MCP 服务
关于我们
关于 Suppr公司介绍联系我们用户协议隐私条款
关注我们

Suppr 超能文献

核心技术专利:CN118964589B侵权必究
粤ICP备2023148730 号-1Suppr @ 2026

文献检索

告别复杂PubMed语法,用中文像聊天一样搜索,搜遍4000万医学文献。AI智能推荐,让科研检索更轻松。

立即免费搜索

文件翻译

保留排版,准确专业,支持PDF/Word/PPT等文件格式,支持 12+语言互译。

免费翻译文档

深度研究

AI帮你快速写综述,25分钟生成高质量综述,智能提取关键信息,辅助科研写作。

立即免费体验

使用新型磁性共价有机框架结合超高效液相色谱-串联质谱法有效提取和测定水和鸡蛋样品中的24种喹诺酮类药物。

Effective extraction and determination of 24 quinolones in water and egg samples using a novel magnetic covalent organic framework combined with UPLC-MS/MS.

作者信息

Li Na, Liang Mengnan, Zhang Hao, Hua Zhongxia, Ma Ling, Qi Yanyu, Wang Ke

机构信息

College of Chemistry and Materials Science, Hebei Normal University Shijiazhuang 050023 China

Shijiazhuang Center for Disease Control and Prevention Shijiazhuang 050011 China

出版信息

RSC Adv. 2024 Mar 14;14(12):8303-8312. doi: 10.1039/d4ra00247d. eCollection 2024 Mar 6.

DOI:10.1039/d4ra00247d
PMID:38487520
原文链接:https://pmc.ncbi.nlm.nih.gov/articles/PMC10938296/
Abstract

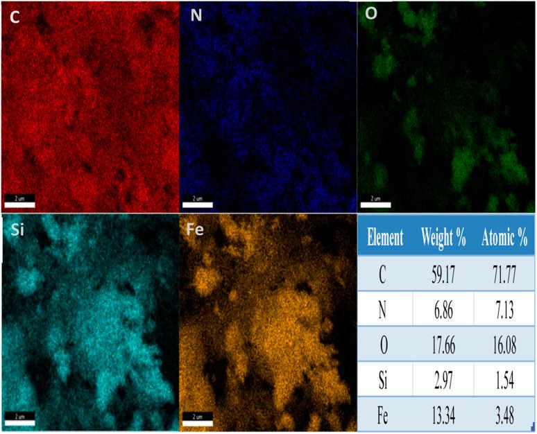
The excessive use of quinolones (QNs) has seriously threatened human health. In this study, a novel functionalized magnetic covalent organic framework FeO@SiO@Ah-COF was fabricated with biphenyl-3,3',5,5'-tetracarbaldehyde and hydrazine hydrate (85%) as monomers and was used as a magnetic solid-phase extraction (MSPE) absorbent for the determination of 24 QNs in water and egg samples through ultra-performance liquid chromatography-tandem mass spectrometry (UPLC-MS/MS). The extraction parameters of MSPE were optimized, including pH, adsorbent dosage, adsorption time, and eluent type. An effective and rapid detection method was then established, which showed good linearity ( ≥ 0.9990), low limits of detection (0.003-0.036 μg L) and low limits of quantitation (0.008-0.110 μg L) for QNs. The good recoveries of 24 QNs in water and egg samples were in the range of 70.3-106.1% and 70.4-119.7%, respectively, with relative standard deviations lower than 10% ( = 5). As a result, FeO@SiO@Ah-COF is a promising magnetic adsorbent, and the established method was successfully applied for the determination of 24 QNs in water and egg samples.

摘要

喹诺酮类药物(QNs)的过度使用严重威胁着人类健康。在本研究中,以联苯 - 3,3',5,5'-四甲醛和水合肼(85%)为单体,制备了一种新型功能化磁性共价有机框架FeO@SiO@Ah-COF,并将其用作磁性固相萃取(MSPE)吸附剂,通过超高效液相色谱 - 串联质谱法(UPLC-MS/MS)测定水和鸡蛋样品中的24种喹诺酮类药物。对MSPE的萃取参数进行了优化,包括pH值、吸附剂用量、吸附时间和洗脱剂类型。然后建立了一种有效且快速的检测方法,该方法对喹诺酮类药物显示出良好的线性(≥0.9990)、低检测限(0.003 - 0.036 μg/L)和低定量限(0.008 - 0.110 μg/L)。水和鸡蛋样品中24种喹诺酮类药物的良好回收率分别在70.3 - 106.1%和70.4 - 119.7%范围内,相对标准偏差低于10%(n = 5)。结果表明,FeO@SiO@Ah-COF是一种有前景的磁性吸附剂,所建立的方法成功应用于水和鸡蛋样品中24种喹诺酮类药物的测定。

https://cdn.ncbi.nlm.nih.gov/pmc/blobs/2fa2/10938296/8742b9763bdb/d4ra00247d-f5.jpg
https://cdn.ncbi.nlm.nih.gov/pmc/blobs/2fa2/10938296/46415e9acce5/d4ra00247d-s1.jpg
https://cdn.ncbi.nlm.nih.gov/pmc/blobs/2fa2/10938296/3305f7a3114b/d4ra00247d-f1.jpg
https://cdn.ncbi.nlm.nih.gov/pmc/blobs/2fa2/10938296/11c2a2dc6766/d4ra00247d-f2.jpg
https://cdn.ncbi.nlm.nih.gov/pmc/blobs/2fa2/10938296/4c5adfe48f33/d4ra00247d-f3.jpg
https://cdn.ncbi.nlm.nih.gov/pmc/blobs/2fa2/10938296/ce1631d2c29c/d4ra00247d-f4.jpg
https://cdn.ncbi.nlm.nih.gov/pmc/blobs/2fa2/10938296/8742b9763bdb/d4ra00247d-f5.jpg
https://cdn.ncbi.nlm.nih.gov/pmc/blobs/2fa2/10938296/46415e9acce5/d4ra00247d-s1.jpg
https://cdn.ncbi.nlm.nih.gov/pmc/blobs/2fa2/10938296/3305f7a3114b/d4ra00247d-f1.jpg
https://cdn.ncbi.nlm.nih.gov/pmc/blobs/2fa2/10938296/11c2a2dc6766/d4ra00247d-f2.jpg
https://cdn.ncbi.nlm.nih.gov/pmc/blobs/2fa2/10938296/4c5adfe48f33/d4ra00247d-f3.jpg
https://cdn.ncbi.nlm.nih.gov/pmc/blobs/2fa2/10938296/ce1631d2c29c/d4ra00247d-f4.jpg
https://cdn.ncbi.nlm.nih.gov/pmc/blobs/2fa2/10938296/8742b9763bdb/d4ra00247d-f5.jpg

相似文献

1
Effective extraction and determination of 24 quinolones in water and egg samples using a novel magnetic covalent organic framework combined with UPLC-MS/MS.使用新型磁性共价有机框架结合超高效液相色谱-串联质谱法有效提取和测定水和鸡蛋样品中的24种喹诺酮类药物。
RSC Adv. 2024 Mar 14;14(12):8303-8312. doi: 10.1039/d4ra00247d. eCollection 2024 Mar 6.
2
[Determination of four fungicides in water by magnetic solid phase extraction-ultrahigh performance liquid chromatography-tandem mass spectrometry using covalent organic framework material].[采用共价有机框架材料的磁性固相萃取-超高效液相色谱-串联质谱法测定水中的四种杀菌剂]
Se Pu. 2022 Nov;40(11):988-997. doi: 10.3724/SP.J.1123.2022.08023.
3
Fabrication of a magnetic metal-organic framework/covalent organic framework composite for simultaneous magnetic solid-phase extraction of seventeen trace quinolones residues in meats.用于同时磁性固相萃取肉类中十七种痕量喹诺酮类残留物的磁性金属有机框架/共价有机框架复合材料的制备
J Chromatogr A. 2023 Oct 25;1709:464403. doi: 10.1016/j.chroma.2023.464403. Epub 2023 Sep 20.
4
COF-SiO@FeO Composite for Magnetic Solid-Phase Extraction of Pyrethroid Pesticides in Vegetables.COF-SiO@FeO 复合材料用于蔬菜中拟除虫菊酯类农药的磁性固相萃取。
Molecules. 2024 May 14;29(10):2311. doi: 10.3390/molecules29102311.
5
[Sulfonated magnetic graphite carbon nitride solid-phase extraction-ultra performance liquid chromatography-tandem mass spectrometry for screening malachite green and leucomalachite green in freshwater fish].磺化磁性石墨相氮化碳固相萃取-超高效液相色谱-串联质谱法用于筛查淡水鱼中的孔雀石绿和隐色孔雀石绿
Se Pu. 2023 Aug;41(8):673-682. doi: 10.3724/SP.J.1123.2022.12009.
6
[Analysis of parabens in environmental water samples by covalent organic framework-based magnetic solid-phase extraction-high performance liquid chromatography].基于共价有机框架的磁性固相萃取-高效液相色谱法分析环境水样中的对羟基苯甲酸酯类
Se Pu. 2022 Nov;40(11):1005-1013. doi: 10.3724/SP.J.1123.2022.06006.
7
The determination of 11 sulfonamide antibiotics in water and foods by developing a N-rich magnetic covalent organic framework combined with ultra-high performance liquid chromatography-tandem mass spectrometry.通过构建富氮磁性共价有机框架结合超高效液相色谱-串联质谱法测定水和食品中的11种磺胺类抗生素。
RSC Adv. 2024 Jul 8;14(30):21318-21327. doi: 10.1039/d4ra02530j. eCollection 2024 Jul 5.
8
Sulphonate functionalized covalent organic framework-based magnetic sorbent for effective solid phase extraction and determination of fluoroquinolones.基于磺酸盐功能化共价有机框架的磁性固相萃取剂用于氟喹诺酮类药物的有效固相萃取和测定。
J Chromatogr A. 2020 Feb 8;1612:460651. doi: 10.1016/j.chroma.2019.460651. Epub 2019 Oct 23.
9
[Determination of five nonsteroidal anti-inflammatory drugs in water by dispersive solid phase extraction-ultra performance liquid chromatography-tandem mass spectrometry based on metal-organic framework composite aerogel].基于金属有机骨架复合气凝胶的分散固相萃取-超高效液相色谱-串联质谱法测定水中五种非甾体抗炎药
Se Pu. 2022 Apr;40(4):323-332. doi: 10.3724/SP.J.1123.2021.07014.
10
Magnetic solid-phase extraction based on GO/FeO coupled with UPLC-MS/MS for determining nitroimidazoles and their metabolites in honey.基于氧化石墨烯/氧化亚铁的磁性固相萃取结合超高效液相色谱-串联质谱法测定蜂蜜中的硝基咪唑类及其代谢物
Talanta. 2023 Mar 1;254:124181. doi: 10.1016/j.talanta.2022.124181. Epub 2022 Dec 8.

引用本文的文献

1
[Recent progress in magnetic covalent organic framework materials for the enrichment and detection of typical organic pollutants].用于典型有机污染物富集与检测的磁性共价有机框架材料的研究进展
Se Pu. 2025 Feb;43(2):107-119. doi: 10.3724/SP.J.1123.2024.07020.

本文引用的文献

1
NaYF:Yb/Ho upconversion nanoprobe incorporated gold nanoparticle (AuNP) based FRET immunosensor for the "turn-on" detection of cardiac troponin I.基于上转换纳米探针的金纳米粒子(AuNP)荧光共振能量转移(FRET)免疫传感器用于心肌肌钙蛋白 I 的“开启”检测。
Analyst. 2023 Dec 18;149(1):231-243. doi: 10.1039/d3an01405c.
2
Determination of quinolone antibiotics in environmental water using automatic solid-phase extraction and isotope dilution ultra-performance liquid chromatography tandem mass spectrometry.采用自动固相萃取和同位素稀释超高效液相色谱串联质谱法测定环境水中的喹诺酮类抗生素。
J Chromatogr B Analyt Technol Biomed Life Sci. 2022 Oct 1;1208:123390. doi: 10.1016/j.jchromb.2022.123390. Epub 2022 Aug 3.
3
Magnetic polyimide nanosheet microspheres for trace analysis of estrogens in aqueous samples by magnetic solid-phase extraction-gas chromatography-mass spectrometry.
磁性聚酰亚胺纳米片微球用于磁性固相萃取-气相色谱-质谱法分析水样中的雌激素。
J Chromatogr A. 2022 Jul 19;1675:463184. doi: 10.1016/j.chroma.2022.463184. Epub 2022 May 31.
4
Preparation of cationic hierarchical porous covalent organic frameworks for rapid and effective enrichment of perfluorinated substances in dairy products.阳离子分级多孔共价有机框架的制备及其在乳制品中全氟化合物的快速有效富集。
J Chromatogr A. 2022 Jul 19;1675:463188. doi: 10.1016/j.chroma.2022.463188. Epub 2022 Jun 1.
5
Pyrene-based covalent organic framework for selective enrichment of hydrophobic peptides with simultaneous proteins exclusion.基于芘的共价有机框架用于选择性富集疏水性肽同时排除蛋白质。
Anal Chim Acta. 2022 May 29;1209:339876. doi: 10.1016/j.aca.2022.339876. Epub 2022 Apr 27.
6
Synthesis of a magnetic covalent organic framework as sorbents for solid-phase extraction of aflatoxins in food prior to quantification by liquid chromatography-mass spectrometry.一种磁性共价有机框架的合成,用作食品中黄曲霉毒素固相萃取的吸附剂,用于液相色谱-质谱法定量分析之前。
Food Chem. 2022 Sep 1;387:132821. doi: 10.1016/j.foodchem.2022.132821. Epub 2022 Mar 26.
7
Multi-class, multi-residue determination of 132 veterinary drugs in milk by magnetic solid-phase extraction based on magnetic hypercrosslinked polystyrene prior to their determination by high-performance liquid chromatography-tandem mass spectrometry.基于磁性超交联聚苯乙烯的磁固相萃取多残留同时测定牛奶中 132 种兽药 **解析**:“Multi-class, multi-residue determination of 132 veterinary drugs in milk by magnetic solid-phase extraction based on magnetic hypercrosslinked polystyrene prior to their determination by high-performance liquid chromatography-tandem mass spectrometry.”为文章的标题,翻译时保留了英文的标题格式。
Food Chem. 2022 Sep 1;387:132866. doi: 10.1016/j.foodchem.2022.132866. Epub 2022 Mar 31.
8
[Application of imine covalent organic frameworks in sample pretreatment].亚胺共价有机框架在样品预处理中的应用
Se Pu. 2022 Feb 8;40(2):109-122. doi: 10.3724/SP.J.1123.2021.04029.
9
Immunochromatographic assays for ultrasensitive and high specific determination of enrofloxacin in milk, eggs, honey, and chicken meat.免疫胶体金检测法用于牛奶、鸡蛋、蜂蜜和鸡肉中恩诺沙星的超高灵敏度和高特异性检测。
J Dairy Sci. 2022 Mar;105(3):1999-2010. doi: 10.3168/jds.2021-20276. Epub 2022 Jan 5.
10
QuEChERS sample pre-processing with UPLC-MS/MS: A method for detecting 19 quinolone-based veterinary drugs in goat's milk.UPLC-MS/MS 结合 QuEChERS 样品前处理法:检测羊奶中 19 种喹诺酮类兽药的方法。
Food Chem. 2022 Mar 30;373(Pt B):131466. doi: 10.1016/j.foodchem.2021.131466. Epub 2021 Oct 27.