Suppr超能文献

一种用于高选择性识别硫化氢并在活细胞中成像的新型近红外荧光探针。

A novel near-infrared fluorescent probe for highly selective recognition of hydrogen sulfide and imaging in living cells.

作者信息

Zhong Keli, Deng Longlong, Zhao Jie, Yan Xiaomei, Sun Tong, Li Jianrong, Tang Lijun

机构信息

College of Chemistry and Chemical Engineering, Bohai University Jinzhou 121013 China

College of Food Science and Technology, Bohai University, National & Local Joint Engineering Research Center of Storage, Processing and Safety Control Technology for Fresh Agricultural and Aquatic Products, The Fresh Food Storage and Processing Technology Research Institute of Liaoning Provincial Universities Jinzhou 121013 China

出版信息

RSC Adv. 2018 Jul 2;8(42):23924-23929. doi: 10.1039/c8ra03457e. eCollection 2018 Jun 27.

Abstract

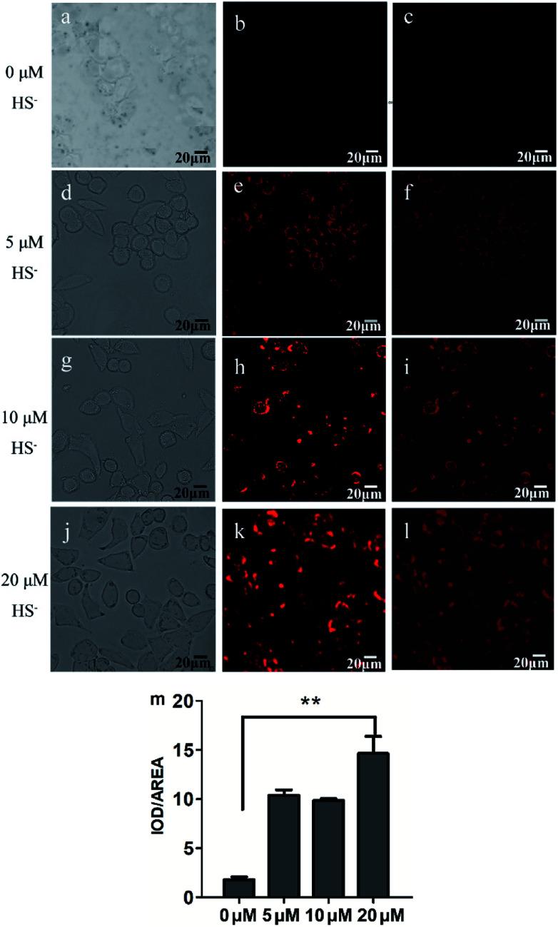
A novel near-infrared fluorescent probe (L) based on a 1,4-diethyl-1,2,3,4-tetrahydro-7-pyrano[2,3-]quinoxalin-7-one scaffold has been synthesized and characterized. Probe L displays highly selective and sensitive recognition to HS over various anions and biological thiols with a large Stokes shift (125 nm) in THF/HO (6/4, v/v, Tris-HCl 10 mM, pH = 7.4). This probe exhibits turn-on fluorescence for HS through HS induced thiolysis of dinitrophenyl ether. Confocal laser scanning micrographs of MCF-7 cells incubated with L confirm that L is cell-permeable and can successfully detect HS in living cells.

摘要

基于1,4 - 二乙基 - 1,2,3,4 - 四氢 - 7 - 吡喃并[2,3 - ]喹喔啉 - 7 - 酮支架合成并表征了一种新型近红外荧光探针(L)。在THF/H₂O(6/4,v/v,10 mM Tris - HCl,pH = 7.4)中,探针L对HS⁻相对于各种阴离子和生物硫醇表现出高度选择性和灵敏的识别,具有大的斯托克斯位移(125 nm)。该探针通过HS⁻诱导的二硝基苯醚硫解反应对HS⁻呈现荧光开启。用L孵育的MCF - 7细胞的共聚焦激光扫描显微镜图像证实L具有细胞渗透性,并且能够成功检测活细胞中的HS⁻。

https://cdn.ncbi.nlm.nih.gov/pmc/blobs/63a1/9081853/1e0d61602bf8/c8ra03457e-s1.jpg

文献检索

告别复杂PubMed语法,用中文像聊天一样搜索,搜遍4000万医学文献。AI智能推荐,让科研检索更轻松。

立即免费搜索

文件翻译

保留排版,准确专业,支持PDF/Word/PPT等文件格式,支持 12+语言互译。

免费翻译文档

深度研究

AI帮你快速写综述,25分钟生成高质量综述,智能提取关键信息,辅助科研写作。

立即免费体验