Centre for Imaging Science, Faculty of Biology, Medicine and Health, Manchester Academic Health Sciences Centre University of Manchester, Manchester, UK.
Wolfson Molecular Imaging Centre, Faculty of Biology, Medicine and Health and Manchester Academic Health Sciences Centre, University of Manchester, Manchester, UK.
J Neurochem. 2018 Feb;144(3):318-335. doi: 10.1111/jnc.14251. Epub 2017 Dec 15.
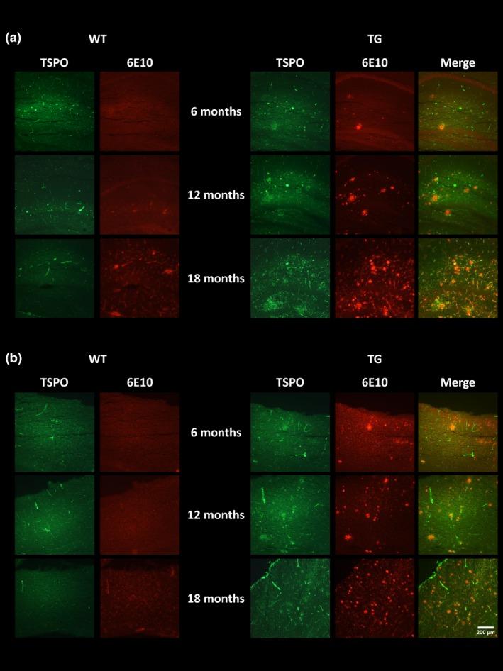
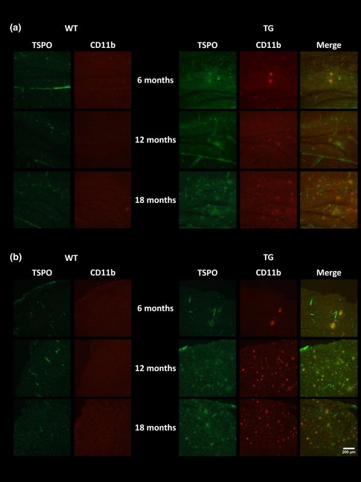
There is increasing evidence linking neuroinflammation to many neurological disorders including Alzheimer's disease (AD); however, its exact contribution to disease manifestation and/or progression is poorly understood. Therefore, there is a need to investigate neuroinflammation in both health and disease. Here, we investigate cognitive decline, neuroinflammatory and other pathophysiological changes in the APP ×PS1 transgenic mouse model of AD. Transgenic (TG) mice were compared to C57BL/6 wild type (WT) mice at 6, 12 and 18 months of age. Neuroinflammation was investigated by [ F]DPA-714 positron emission tomography and myo-inositol levels using H magnetic resonance spectroscopy (MRS) in vivo. Neuronal and cellular dysfunction was investigated by looking at N-acetylaspartate (NAA), choline-containing compounds, taurine and glutamate also using MRS. Cognitive decline was first observed at 12 m of age in the TG mice as assessed by working memory tests . A significant increase in [ F]DPA-714 uptake was seen in the hippocampus and cortex of 18 m-old TG mice when compared to age-matched WT mice and 6 m-old TG mice. No overall effect of gene was seen on metabolite levels; however, a significant reduction in NAA was observed in 18 m-old TG mice when compared to WT. In addition, age resulted in a decrease in glutamate and an increase in choline levels. Therefore, we can conclude that increased neuroinflammation and cognitive decline are observed in TG animals, whereas NAA alterations occurring with age are exacerbated in the TG mice. These results support the role of neuroinflammation and metabolite alteration in AD and in ageing.
越来越多的证据表明神经炎症与许多神经退行性疾病有关,包括阿尔茨海默病(AD);然而,其对疾病表现和/或进展的确切贡献仍不清楚。因此,有必要在健康和疾病状态下研究神经炎症。在这里,我们研究了 APP×PS1 转基因 AD 小鼠模型中的认知能力下降、神经炎症和其他病理生理变化。将转基因(TG)小鼠与 C57BL/6 野生型(WT)小鼠在 6、12 和 18 个月大时进行比较。通过 [F]DPA-714 正电子发射断层扫描和体内 H 磁共振波谱(MRS)测量肌醇水平来研究神经炎症。通过观察 N-乙酰天冬氨酸(NAA)、含胆碱化合物、牛磺酸和谷氨酸,也使用 MRS 研究神经元和细胞功能障碍。在 TG 小鼠中,通过工作记忆测试,在 12 个月大时首次观察到认知能力下降。与年龄匹配的 WT 小鼠和 6 个月大的 TG 小鼠相比,18 个月大的 TG 小鼠的海马体和皮质中的 [F]DPA-714 摄取量显著增加。在 18 个月大的 TG 小鼠中,与 WT 相比,NAA 水平显著降低,但基因总体上没有影响。此外,年龄导致谷氨酸水平降低和胆碱水平升高。因此,我们可以得出结论,在 TG 动物中观察到神经炎症和认知能力下降增加,而在 TG 小鼠中,与年龄相关的 NAA 改变加剧。这些结果支持神经炎症和代谢物改变在 AD 和衰老中的作用。