Suppr超能文献

用于靶向磁共振成像/计算机断层扫描/光声多模态成像及化学光热治疗的叶酸共轭金纳米棒@聚吡咯@FeO纳米复合材料

Folic acid-conjugated gold nanorod@polypyrrole@FeO nanocomposites for targeted MR/CT/PA multimodal imaging and chemo-photothermal therapy.

作者信息

Cao Wei, Wang Xuandong, Song Liang, Wang Peiyuan, Hou Xuemei, Zhang Huicong, Tian Xiangdong, Liu Xiaolong, Zhang Yun

机构信息

Key Laboratory of Design and Assembly of Functional Nanostructures, Fujian Institute of Research on the Structure of Matter, Chinese Academy of Sciences Fuzhou 350002 China

Department of Translational Medicine, Xiamen Institute of Rare Earth Materials, Chinese Academy of Sciences Xiamen 361021 China.

出版信息

RSC Adv. 2019 Jun 17;9(33):18874-18887. doi: 10.1039/c9ra00541b. eCollection 2019 Jun 14.

Abstract

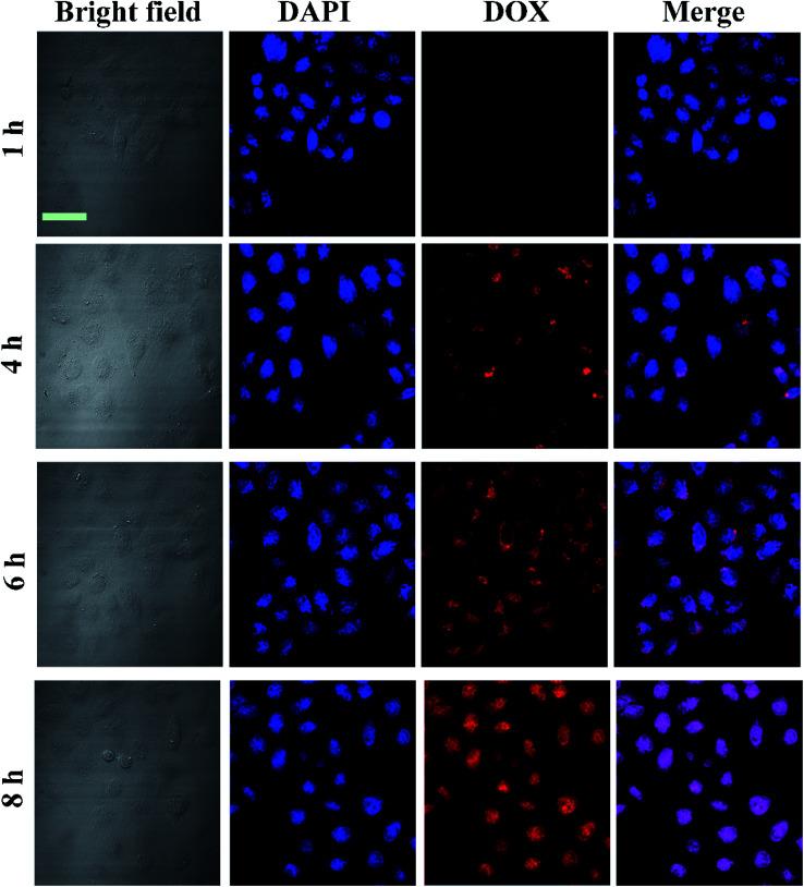
Integrating multimodal bioimaging and different therapies into one nanoplatform is a promising strategy for biomedical applications, but remains a great challenge. Herein, we have synthesized a biocompatible folic acid (FA) functionalized gold nanorod@polypyrrole@FeO (GNR@PPy@FeO-FA) nanocomposite through a facile method. The conjugated FA has endowed the nanocomposite with the ability to recognize targeted cancer cells. Importantly, the nanocomposite has been successfully utilized for magnetic resonance (MR), computed tomography (CT) and photoacoustic (PA) multimodal imaging. Moreover, the GNR@PPy@FeO-DOX nanocomposite shows pH-responsive chemotherapy and enables the integration of photothermal therapy and chemotherapy to achieve superior antitumor efficacy. The GNR@PPy@FeO-DOX nanocomposites have a drug release of 23.64%, and the photothermal efficiency of the GNR@PPy@FeO nanocomposites reaches 51.46%. Cell viability decreases to 15.83% and 16.47% because of the combination of chemo-photothermal therapy effects. Moreover, the GNR@PPy@FeO-DOX-FA nanocomposite could target cancer cells folic acid and under a magnetic field. The multimodal imaging and chemo-photothermal therapy effects showed that the GNR@PPy@FeO-DOX-FA nanocomposites are a good contrast and theranostic agent. Thus, this multifunctional nanocomposite could be a promising theranostic platform for cancer diagnosis and therapy.

摘要

将多模态生物成像和不同疗法整合到一个纳米平台中是生物医学应用的一种有前景的策略,但仍然是一个巨大的挑战。在此,我们通过一种简便的方法合成了一种生物相容性叶酸(FA)功能化的金纳米棒@聚吡咯@FeO(GNR@PPy@FeO-FA)纳米复合材料。共轭的FA赋予了纳米复合材料识别靶向癌细胞的能力。重要的是,该纳米复合材料已成功用于磁共振(MR)、计算机断层扫描(CT)和光声(PA)多模态成像。此外,GNR@PPy@FeO-DOX纳米复合材料显示出pH响应性化疗,并能够将光热疗法和化疗整合以实现卓越的抗肿瘤疗效。GNR@PPy@FeO-DOX纳米复合材料的药物释放率为23.64%,GNR@PPy@FeO纳米复合材料的光热效率达到51.46%。由于化疗-光热疗法的联合作用,细胞活力降低到15.83%和16.47%。此外,GNR@PPy@FeO-DOX-FA纳米复合材料可以通过叶酸靶向癌细胞并在磁场作用下发挥作用。多模态成像和化疗-光热疗法效果表明,GNR@PPy@FeO-DOX-FA纳米复合材料是一种良好的造影剂和治疗诊断剂。因此,这种多功能纳米复合材料可能是一种有前景的用于癌症诊断和治疗的治疗诊断平台。

https://cdn.ncbi.nlm.nih.gov/pmc/blobs/1ce1/9065171/fe09090aa235/c9ra00541b-f1.jpg

文献AI研究员

20分钟写一篇综述,助力文献阅读效率提升50倍。

立即体验

用中文搜PubMed

大模型驱动的PubMed中文搜索引擎

马上搜索

文档翻译

学术文献翻译模型,支持多种主流文档格式。

立即体验